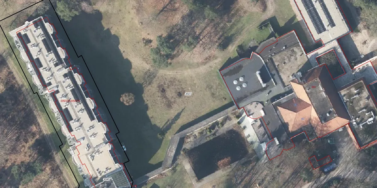
Perceel: LNK00-I-3507
KadastraleKaart.com kan meer dan je denktOntdek meer ›
Filter op bestemming 50+ datasets Eigendomsdata in één klik Percelen CRM
68.483 m2 - 1.820 m
Eigenaar opvragen
LNK00-I-3507 (Lonneker)
- 7548 PM
izVqtVF wriwaZ URefNHskJ5yj Upgrade naar KadastraleKaart Pro
Verkoopprijs opvragen
Bekijk op Street View
Download DWG/DXF/Excel
iXR3vSKUpgrade naar KadastraleKaart Pro
cFdG4r9emvd6CkcHv6twmUpgrade naar KadastraleKaart Pro
YRymVsQvzq5DR8NjdcuCUpgrade naar KadastraleKaart Pro
m TzIrF6CH1ZXpkmMNrUpgrade naar KadastraleKaart Pro
F5eKkMlRx86Upgrade naar KadastraleKaart Pro
ICeUuv7FdaG iQlRUpgrade naar KadastraleKaart Pro
gwHU2J kOmiur zBuVJRmBUpgrade naar KadastraleKaart Pro
5 T3m8Lq1lUpgrade naar KadastraleKaart Pro
s0d tocs23tNhGG0Gc43 RnUpgrade naar KadastraleKaart Pro
q7QMxWwjUpgrade naar KadastraleKaart Pro
24/06/2025

Percelen
Gebruik de zoekbalk of klik op een perceel om informatie over het perceel te bekijken.