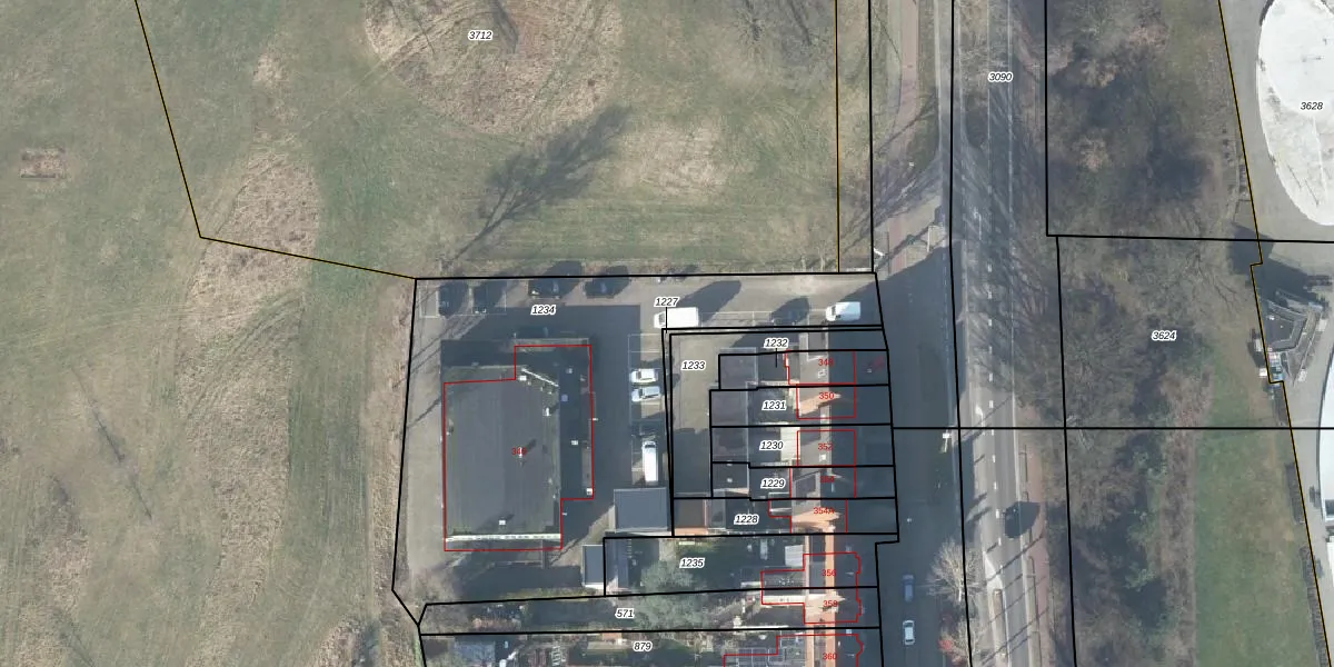
Perceel: LNK00-P-1227
KadastraleKaart.com kan meer dan je denktOntdek meer ›
Filter op bestemming 50+ datasets Eigendomsdata in één klik Percelen CRM
Geen adressen bij dit perceel
34 m2 - 127 m
Eigenaar opvragen
LNK00-P-1227 (Lonneker)
- Geen postcode aanwezig
kAnFQsUfGj4EaxTmtzzV WRmUpgrade naar KadastraleKaart Pro
Bekijk op Street View
Download DWG/DXF/Excel
nvrIy6MBdTuApyrObUpgrade naar KadastraleKaart Pro
BB1uxvJcEtMZ 8LXUpgrade naar KadastraleKaart Pro
2MtwF1ACwnHKiv OGRJ0mLUpgrade naar KadastraleKaart Pro
0I8iyh33Upgrade naar KadastraleKaart Pro
N6kiYQSfbg8Upgrade naar KadastraleKaart Pro
t9QWeumsUpgrade naar KadastraleKaart Pro
UEf9Hm lUpgrade naar KadastraleKaart Pro
iHwzq05ZKzCeR3OQyUpgrade naar KadastraleKaart Pro
svAHuIVRUpgrade naar KadastraleKaart Pro
0AMlc37yUpgrade naar KadastraleKaart Pro
24/10/1997

Percelen
Gebruik de zoekbalk of klik op een perceel om informatie over het perceel te bekijken.