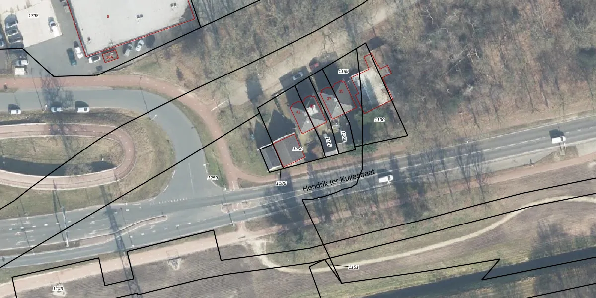
Perceel: LNK00-T-1258
KadastraleKaart.com kan meer dan je denktOntdek meer ›
Filter op bestemming 50+ datasets Eigendomsdata in één klik Percelen CRM
360 m2 - 78 m
Eigenaar opvragen
LNK00-T-1258 (Lonneker)
- 7547 SH
mDnlIpGGXzmqWrkax2 LUpgrade naar KadastraleKaart Pro
Verkoopprijs opvragen
Bekijk op Street View
Download DWG/DXF/Excel
VVxYkdWM7M1nHP3Upgrade naar KadastraleKaart Pro
D132H Y 1MlXUpgrade naar KadastraleKaart Pro
yWj2 1 g7FOLMRb1oFQwUpgrade naar KadastraleKaart Pro
jxjCeX G4lcUpgrade naar KadastraleKaart Pro
A Q4QNRGxVpUZfgrUpgrade naar KadastraleKaart Pro
XH MMViUxLzvJvUpgrade naar KadastraleKaart Pro
dl I 7ztIyp0GUpgrade naar KadastraleKaart Pro
qQxhUjtpDjGWOQ7UUpgrade naar KadastraleKaart Pro
hfIWEJUUpgrade naar KadastraleKaart Pro
EX7976p5Z aiwUpgrade naar KadastraleKaart Pro
06/04/2010

Percelen
Gebruik de zoekbalk of klik op een perceel om informatie over het perceel te bekijken.