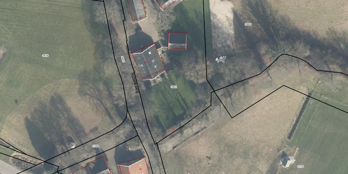
Perceel: LNK00-U-3901
KadastraleKaart.com kan meer dan je denktOntdek meer ›
Filter op bestemming 50+ datasets Eigendomsdata in één klik Percelen CRM
3.575 m2 - 258 m
Eigenaar opvragen
LNK00-U-3901 (Lonneker)
- 7547 PS
cgJdcDIz2S jecEY5 w YWHP9ya7aJaUpgrade naar KadastraleKaart Pro
Verkoopprijs opvragen
Bekijk op Street View
Download DWG/DXF/Excel
09AVq zRH3XCQIwsFuKdPM8Upgrade naar KadastraleKaart Pro
5oSUw8ZNpN6 TkFVUpgrade naar KadastraleKaart Pro
Jocu5 Nt ctQw25EJH1CVDUpgrade naar KadastraleKaart Pro
nJQxST2oq9C24eMLV4Upgrade naar KadastraleKaart Pro
leOMh nrniS0osjhIMUpgrade naar KadastraleKaart Pro
DnlIeoF geEmuv69ZraUpgrade naar KadastraleKaart Pro
Idv2 xHjpUpgrade naar KadastraleKaart Pro
b UGC zcxzmgFLJXZWamUpgrade naar KadastraleKaart Pro
RTi5GYelWzM wI6bhIUpgrade naar KadastraleKaart Pro
vfNr UWzUpgrade naar KadastraleKaart Pro
23/11/2016

Percelen
Gebruik de zoekbalk of klik op een perceel om informatie over het perceel te bekijken.