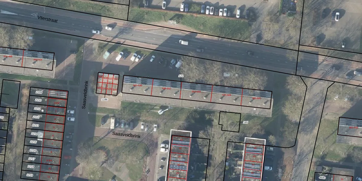
Perceel: LNK00-Z-122
KadastraleKaart.com kan meer dan je denktOntdek meer ›
Filter op bestemming 50+ datasets Eigendomsdata in één klik Percelen CRM
803 m2 - 184 m
Eigenaar opvragen
LNK00-Z-122 (Lonneker)
- 7544 GN -7544 GP
sZSGFbw BSYGIjm YXUpgrade naar KadastraleKaart Pro
Bekijk op Street View
Download DWG/DXF/Excel
YMN1CtaC8eZUpgrade naar KadastraleKaart Pro
2PB6LrEyJ9oyEELdUpgrade naar KadastraleKaart Pro
msVc7088NUKUpgrade naar KadastraleKaart Pro
8Z1jaWiU3 jYEUpgrade naar KadastraleKaart Pro
JduPvoDWCuC xXb7yhxxiUpgrade naar KadastraleKaart Pro
TDw3k15uRG5R3 qE9cUpgrade naar KadastraleKaart Pro
6EOKFsDV5 0k Q5Q10YxzUpgrade naar KadastraleKaart Pro
9gUrk2HUjn6Upgrade naar KadastraleKaart Pro
kfQ9ina TmJbU3QKnl Upgrade naar KadastraleKaart Pro
K1l7PmC05o Upgrade naar KadastraleKaart Pro
13/08/2001

Percelen
Gebruik de zoekbalk of klik op een perceel om informatie over het perceel te bekijken.