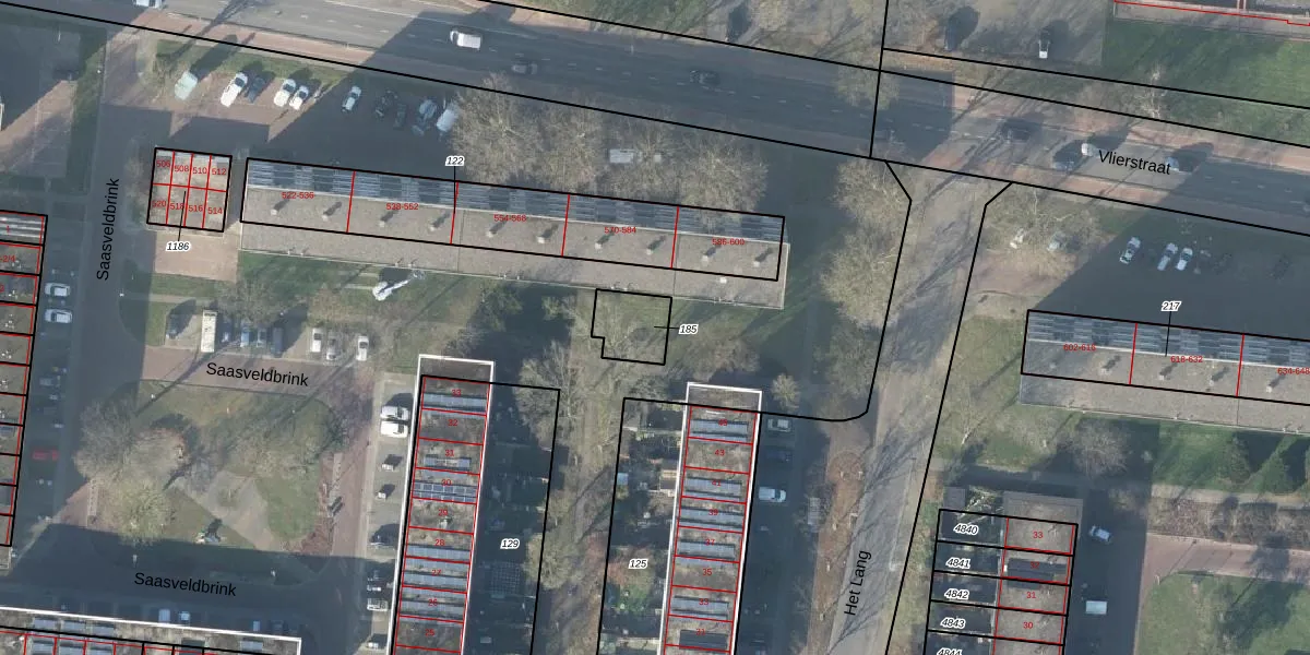
Perceel: LNK00-Z-185
KadastraleKaart.com kan meer dan je denktOntdek meer ›
Filter op bestemming 50+ datasets Eigendomsdata in één klik Percelen CRM
Geen adressen bij dit perceel
112 m2 - 44 m
Eigenaar opvragen
LNK00-Z-185 (Lonneker)
- Geen postcode aanwezig
fkCAhAoUUuyTHc8bW7xQswam6rn4lUpgrade naar KadastraleKaart Pro
Bekijk op Street View
Download DWG/DXF/Excel
CzVHOyVBQhU sHpUfUpgrade naar KadastraleKaart Pro
ZaS gZNXF 6s t6D qBtUpgrade naar KadastraleKaart Pro
4YbHFqcekuvL9r336jaJWUpgrade naar KadastraleKaart Pro
ZvCOZB2 yYiUpgrade naar KadastraleKaart Pro
J1Z2STzYJGwDzI36Upgrade naar KadastraleKaart Pro
4Ou8M m933ecUpgrade naar KadastraleKaart Pro
YvPPiIt3p T59BPIUpgrade naar KadastraleKaart Pro
QPx oY SvLBsWflrU8Xs Upgrade naar KadastraleKaart Pro
SelTPsTB3u720B9bW8 Upgrade naar KadastraleKaart Pro
tbPwlwKyZuQDdE8AISbUpgrade naar KadastraleKaart Pro
06/07/1999

Percelen
Gebruik de zoekbalk of klik op een perceel om informatie over het perceel te bekijken.