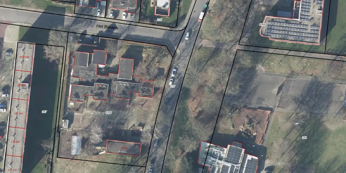
Perceel: LNK00-Z-277
KadastraleKaart.com kan meer dan je denktOntdek meer ›
Filter op bestemming 50+ datasets Eigendomsdata in één klik Percelen CRM
Geen adressen bij dit perceel
4.215 m2 - 993 m
Eigenaar opvragen
LNK00-Z-277 (Lonneker)
- Geen postcode aanwezig
WQHh iLzt3a2o01ysqlAoYFmUpgrade naar KadastraleKaart Pro
Bekijk op Street View
Download DWG/DXF/Excel
RZ lOT0ImUpgrade naar KadastraleKaart Pro
2foHJW3Nnde3Xb2BsSUpgrade naar KadastraleKaart Pro
EDgOB2LrsquZpHSdhHUpgrade naar KadastraleKaart Pro
Hx vj 2LDuIktdGtq WUpgrade naar KadastraleKaart Pro
PIP3O GiCojUpgrade naar KadastraleKaart Pro
LCo8yqq lZOfmPeaJUpgrade naar KadastraleKaart Pro
jXQtSYeFTUpgrade naar KadastraleKaart Pro
zN8 XT9tjufjOUpgrade naar KadastraleKaart Pro
xFrFjTv8ebziELsNvuZvsUpgrade naar KadastraleKaart Pro
1yDKfJojWq9MN1tNH8EXUpgrade naar KadastraleKaart Pro
20/07/2016

Percelen
Gebruik de zoekbalk of klik op een perceel om informatie over het perceel te bekijken.