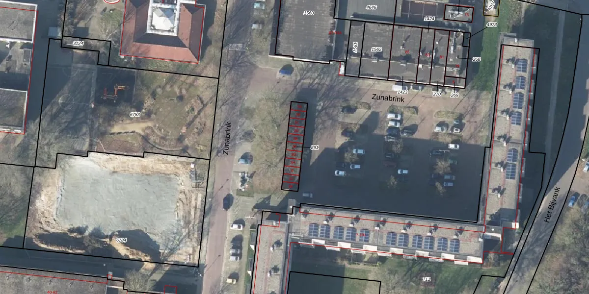
Perceel: LNK00-Z-891
KadastraleKaart.com kan meer dan je denktOntdek meer ›
Filter op bestemming 50+ datasets Eigendomsdata in één klik Percelen CRM
163 m2 - 72 m
Eigenaar opvragen
LNK00-Z-891 (Lonneker)
- Geen postcode aanwezig
vljCaDIj BzMazs9LOeXUpgrade naar KadastraleKaart Pro
Bekijk op Street View
Download DWG/DXF/Excel
FzKoWrJ8r7i uB2Upgrade naar KadastraleKaart Pro
Z5YKmXwaEB Upgrade naar KadastraleKaart Pro
W Ozj4HCnUpgrade naar KadastraleKaart Pro
rP VJr 9y1EH5kGZa5E4Upgrade naar KadastraleKaart Pro
FNf 2 cUpgrade naar KadastraleKaart Pro
r2YP gEBUpgrade naar KadastraleKaart Pro
0K2penJrpouQ Upgrade naar KadastraleKaart Pro
2zrkrgNYnSkUpgrade naar KadastraleKaart Pro
qaMmkzGY J3Rcnmp qwCrUpgrade naar KadastraleKaart Pro
ajbjbnjH KCKL2Upgrade naar KadastraleKaart Pro
04/11/2009

Percelen
Gebruik de zoekbalk of klik op een perceel om informatie over het perceel te bekijken.