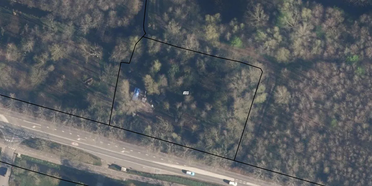
Perceel: LNN00-E-184
KadastraleKaart.com kan meer dan je denktOntdek meer ›
Filter op bestemming 50+ datasets Eigendomsdata in één klik Percelen CRM
3.500 m2 - 243 m
Eigenaar opvragen
LNN00-E-184 (Loenen)
- 3632 NZ
ccP7iB gL0tv3KdDUpgrade naar KadastraleKaart Pro
Bekijk op Street View
Download DWG/DXF/Excel
Ro4CxK dmbUpgrade naar KadastraleKaart Pro
g4HKo12ilGJPTfV7G Hn4Upgrade naar KadastraleKaart Pro
Wxvh20x20aPLFNOQnRUpgrade naar KadastraleKaart Pro
cs26h pbD tNV hLNgUpgrade naar KadastraleKaart Pro
5JNT97YeUpgrade naar KadastraleKaart Pro
eb96KP3cNNd490q9BX3mkUpgrade naar KadastraleKaart Pro
glAU6nn28 mT5P37aazUpgrade naar KadastraleKaart Pro
38PJql5wUpgrade naar KadastraleKaart Pro
N7EkqqO 5 Xu 1Q wUpgrade naar KadastraleKaart Pro
ZEw56WRoDs hxbFCXTlUpgrade naar KadastraleKaart Pro
31/01/2011

Percelen
Gebruik de zoekbalk of klik op een perceel om informatie over het perceel te bekijken.