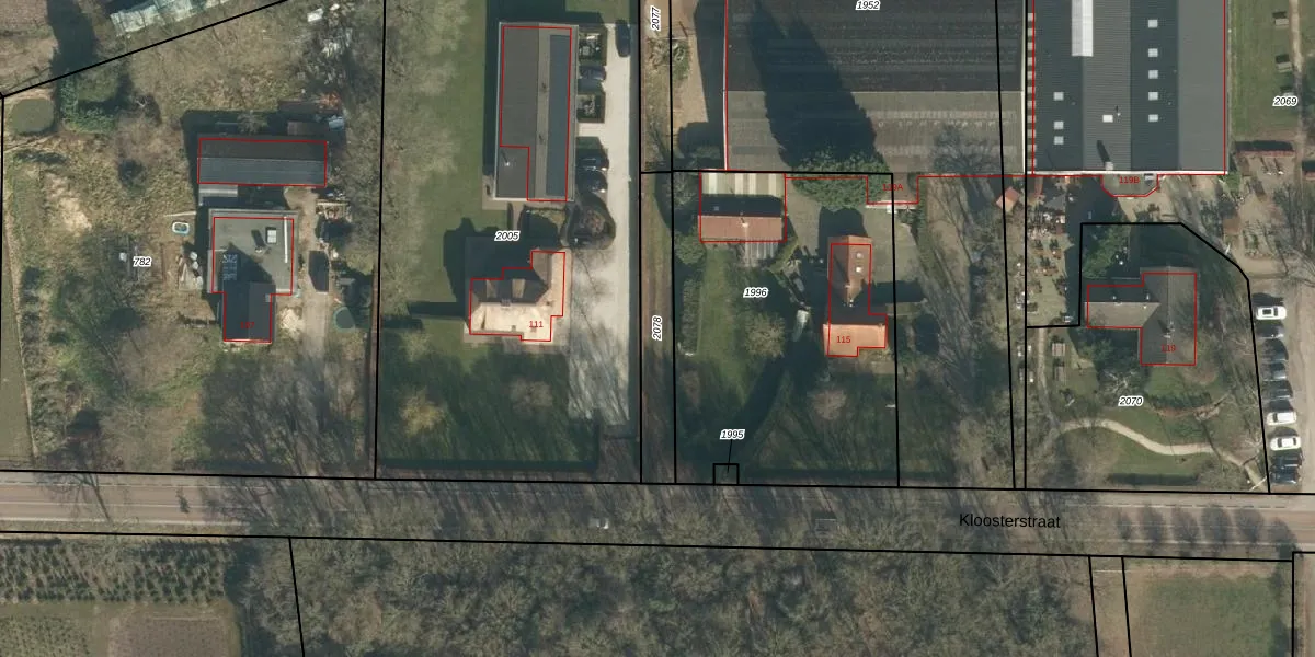
Perceel: LOO00-D-2078
KadastraleKaart.com kan meer dan je denktOntdek meer ›
Filter op bestemming 50+ datasets Eigendomsdata in één klik Percelen CRM
Geen adressen bij dit perceel
239 m2 - 105 m
Eigenaar opvragen
LOO00-D-2078 (Loon op Zand)
- Geen postcode aanwezig
62iterIqstyJOHykUpgrade naar KadastraleKaart Pro
Bekijk op Street View
Download DWG/DXF/Excel
RMm tResCh1cxxjrU SoUpgrade naar KadastraleKaart Pro
iPNJh9 5Fqxj6A6HyiCUpgrade naar KadastraleKaart Pro
9d2HwlP0Upgrade naar KadastraleKaart Pro
zPe fvMxUpgrade naar KadastraleKaart Pro
ErcSPpY GGUpgrade naar KadastraleKaart Pro
MZITBoh cGF Upgrade naar KadastraleKaart Pro
sI31rV43Upgrade naar KadastraleKaart Pro
nZjObpvqI3IfZbFiJpGUpgrade naar KadastraleKaart Pro
2MNdk96mtI9P7LHuQOUpgrade naar KadastraleKaart Pro
NjRD P9EURiCOUpgrade naar KadastraleKaart Pro
10/05/2023

Percelen
Gebruik de zoekbalk of klik op een perceel om informatie over het perceel te bekijken.