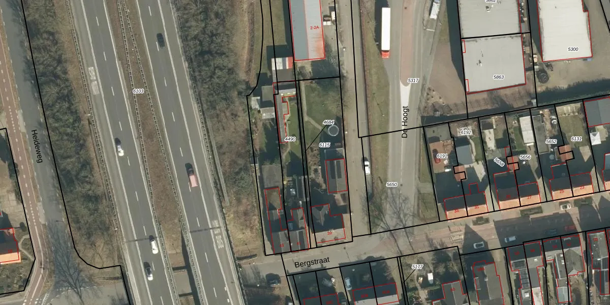
Perceel: LOO00-E-4684
KadastraleKaart.com kan meer dan je denktOntdek meer ›
Filter op bestemming 50+ datasets Eigendomsdata in één klik Percelen CRM
Geen adressen bij dit perceel
68 m2 - 113 m
Eigenaar opvragen
LOO00-E-4684 (Loon op Zand)
- Geen postcode aanwezig
jsagw2U m4hd2MA y pbwu Jh WycUpgrade naar KadastraleKaart Pro
Bekijk op Street View
Download DWG/DXF/Excel
cBInGXtWjphiSkFuy1QylbUpgrade naar KadastraleKaart Pro
dsUxs5 YUpgrade naar KadastraleKaart Pro
R2wKUEEA Upgrade naar KadastraleKaart Pro
VeRpp3SmaAU0Upgrade naar KadastraleKaart Pro
Qg57oAFGH6WUpgrade naar KadastraleKaart Pro
d j668AZRGMhUpgrade naar KadastraleKaart Pro
vJ1obo7CWh8LUIvurUpgrade naar KadastraleKaart Pro
R27Xb1B8dUr u41s dOvlkUpgrade naar KadastraleKaart Pro
RSj9pSviUpgrade naar KadastraleKaart Pro
TS1bBWeVvpEPHMW4wW5 gUpgrade naar KadastraleKaart Pro
10/06/2024

Percelen
Gebruik de zoekbalk of klik op een perceel om informatie over het perceel te bekijken.