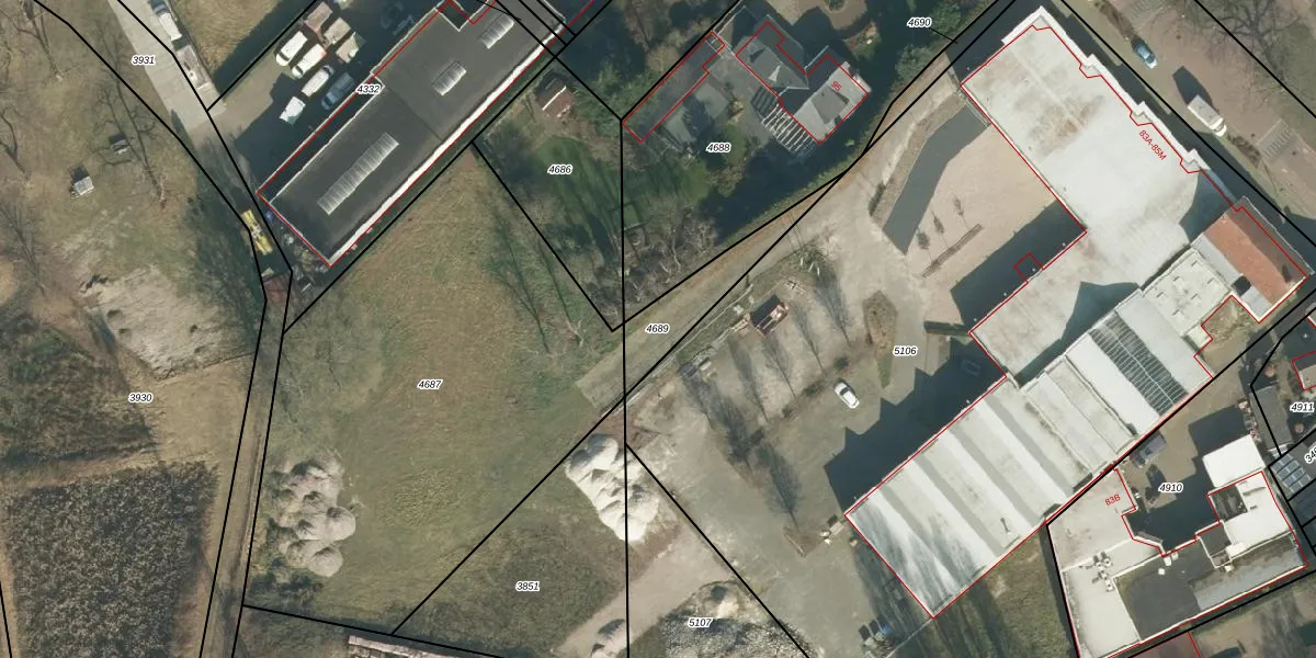
Perceel: LOO00-E-4689
KadastraleKaart.com kan meer dan je denktOntdek meer ›
Filter op bestemming 50+ datasets Eigendomsdata in één klik Percelen CRM
Geen adressen bij dit perceel
200 m2 - 101 m
Eigenaar opvragen
LOO00-E-4689 (Loon op Zand)
- Geen postcode aanwezig
lvdM9OYOY26 sWkA CUpgrade naar KadastraleKaart Pro
Bekijk op Street View
Download DWG/DXF/Excel
XDvjK9N5tEAeEOytNDUpgrade naar KadastraleKaart Pro
nEk TVpoUpgrade naar KadastraleKaart Pro
XfTBZ5ptZQltxpQWoycFHrBUpgrade naar KadastraleKaart Pro
7umI3whZtvZ1Upgrade naar KadastraleKaart Pro
wWuJP y VM 46elMOUpgrade naar KadastraleKaart Pro
KGR9ajfLh8QVbmHx EyUpgrade naar KadastraleKaart Pro
H51XPVXadkpOY90zxfbA6ZUpgrade naar KadastraleKaart Pro
8TvwKKiIRQ QC8LhI9MOzUpgrade naar KadastraleKaart Pro
B dm6 ox9wVJlqUpgrade naar KadastraleKaart Pro
FRUkltBUHFrhRPuRuI0gROUpgrade naar KadastraleKaart Pro
29/06/2007

Percelen
Gebruik de zoekbalk of klik op een perceel om informatie over het perceel te bekijken.