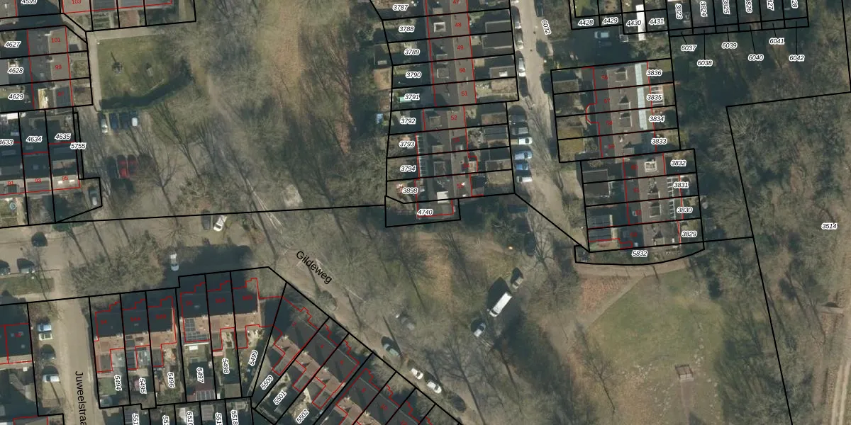
Perceel: LOO00-E-4740
KadastraleKaart.com kan meer dan je denktOntdek meer ›
Filter op bestemming 50+ datasets Eigendomsdata in één klik Percelen CRM
Geen adressen bij dit perceel
85 m2 - 48 m
Eigenaar opvragen
LOO00-E-4740 (Loon op Zand)
- Geen postcode aanwezig
dD3PNBvg CY sW h07QJR BUpgrade naar KadastraleKaart Pro
Bekijk op Street View
Download DWG/DXF/Excel
WDiOW LkfO4 ELsyOScxdUpgrade naar KadastraleKaart Pro
F3lbbcgdBUpgrade naar KadastraleKaart Pro
vnPu8aWOUpgrade naar KadastraleKaart Pro
rx2Ih AJoJp4IMln lUpgrade naar KadastraleKaart Pro
yZuomdCIaYOUpgrade naar KadastraleKaart Pro
65x 7Ca iMzq5kUpgrade naar KadastraleKaart Pro
HF g0VtJRz5FdbSSCaZJRUpgrade naar KadastraleKaart Pro
VFxS83CpUpgrade naar KadastraleKaart Pro
bnK gbNDho oNsUpgrade naar KadastraleKaart Pro
Z LH5nk0yVmJ2EUpgrade naar KadastraleKaart Pro
11/09/2009

Percelen
Gebruik de zoekbalk of klik op een perceel om informatie over het perceel te bekijken.