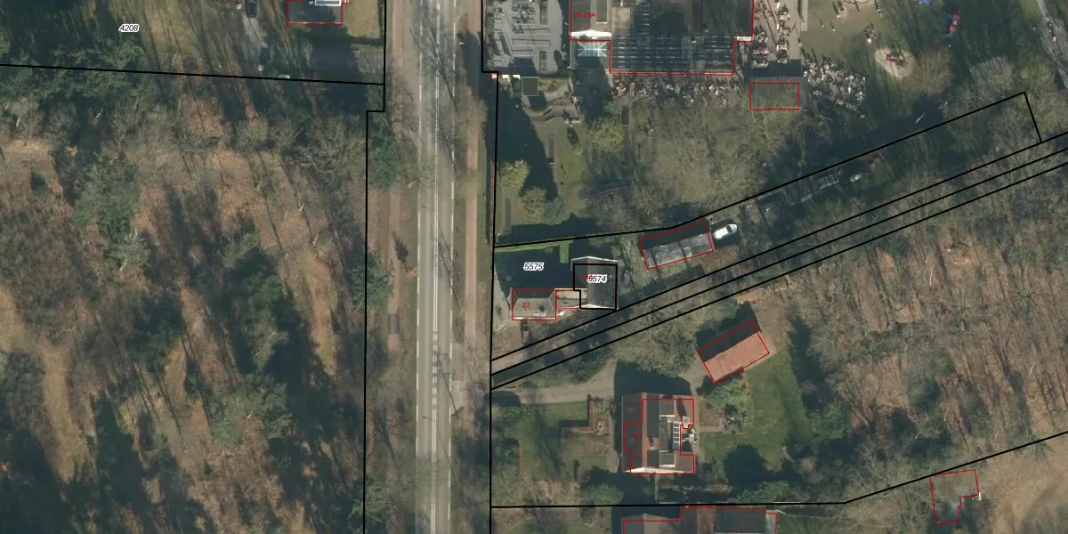
Perceel: LOO00-E-5575
KadastraleKaart.com kan meer dan je denktOntdek meer ›
Filter op bestemming 50+ datasets Eigendomsdata in één klik Percelen CRM
1.225 m2 - 279 m
Eigenaar opvragen
LOO00-E-5575 (Loon op Zand)
- 5175 BC
qneJ5PoUQn YRit5U7GjtoSuTyTtYUpgrade naar KadastraleKaart Pro
Verkoopprijs opvragen
Bekijk op Street View
Download DWG/DXF/Excel
kyy5gTLHpoz M8YeTUpgrade naar KadastraleKaart Pro
qiCSD8hXgrHvUpgrade naar KadastraleKaart Pro
ZaNOg4Fo py9GIR ixOQFEZUpgrade naar KadastraleKaart Pro
MaN1Wt75I7iMGBluA7K2Upgrade naar KadastraleKaart Pro
AVydGLMj2GTUpgrade naar KadastraleKaart Pro
XkCcST mtr7e53Upgrade naar KadastraleKaart Pro
VKJdP92GCUpgrade naar KadastraleKaart Pro
HHNiAxih WDUpgrade naar KadastraleKaart Pro
6Q79S5NoXjMUpgrade naar KadastraleKaart Pro
8NLjgMwBNV T5 C 6BzmFUpgrade naar KadastraleKaart Pro
10/02/2012

Percelen
Gebruik de zoekbalk of klik op een perceel om informatie over het perceel te bekijken.