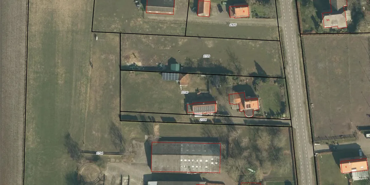
Perceel: LOO00-G-2236
KadastraleKaart.com kan meer dan je denktOntdek meer ›
Filter op bestemming 50+ datasets Eigendomsdata in één klik Percelen CRM
2.040 m2 - 227 m
Eigenaar opvragen
LOO00-G-2236 (Loon op Zand)
- 5171 PJ
qx0PZmlbahIO nlxjmVQUpgrade naar KadastraleKaart Pro
Bekijk op Street View
Download DWG/DXF/Excel
9VeDDTkwQNt2dUpgrade naar KadastraleKaart Pro
60fcajC3E0Mmvi D7WOBbsbUpgrade naar KadastraleKaart Pro
0u5lUqcAUpgrade naar KadastraleKaart Pro
Wy5ApWVO cOiv D4G Upgrade naar KadastraleKaart Pro
6sTm8w3gyMwr3 Upgrade naar KadastraleKaart Pro
CgWiRuB6n9uGG hUpgrade naar KadastraleKaart Pro
dlVVp29A 80TQfaHHcFAbEUpgrade naar KadastraleKaart Pro
F5k nIdGk7C57Upgrade naar KadastraleKaart Pro
VDyV4uxqGUpgrade naar KadastraleKaart Pro
4MmjW rSYkUpgrade naar KadastraleKaart Pro
31/05/2007

Percelen
Gebruik de zoekbalk of klik op een perceel om informatie over het perceel te bekijken.