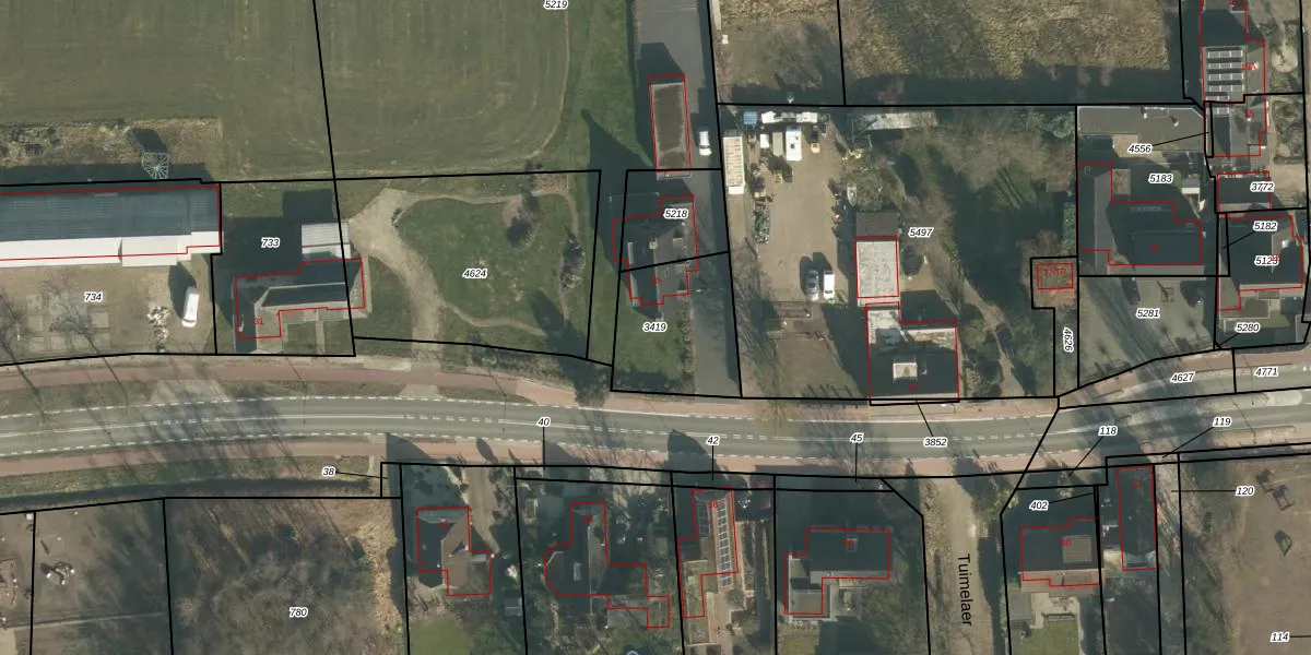
Perceel: LOO00-H-3419
KadastraleKaart.com kan meer dan je denktOntdek meer ›
Filter op bestemming 50+ datasets Eigendomsdata in één klik Percelen CRM
Geen adressen bij dit perceel
369 m2 - 78 m
Eigenaar opvragen
LOO00-H-3419 (Loon op Zand)
- Geen postcode aanwezig
j DxF 33G jKKKMyQdWpTSUgy82wqCUpgrade naar KadastraleKaart Pro
Bekijk op Street View
Download DWG/DXF/Excel
77rM9tqFM T5uuZ Upgrade naar KadastraleKaart Pro
Ni1PXCwgHUpgrade naar KadastraleKaart Pro
oB1m4TGUpgrade naar KadastraleKaart Pro
b6h 4oUhVGGZfgsUpgrade naar KadastraleKaart Pro
dLEHNLF5bipSUpgrade naar KadastraleKaart Pro
nSEc9B x DiF 5 z0I7HpeYUpgrade naar KadastraleKaart Pro
JRz yZ18njUpgrade naar KadastraleKaart Pro
gwxydZrleCRkNL9Upgrade naar KadastraleKaart Pro
m3lND5awUpgrade naar KadastraleKaart Pro
mPEIAipYfUpgrade naar KadastraleKaart Pro
29/01/2024

Percelen
Gebruik de zoekbalk of klik op een perceel om informatie over het perceel te bekijken.