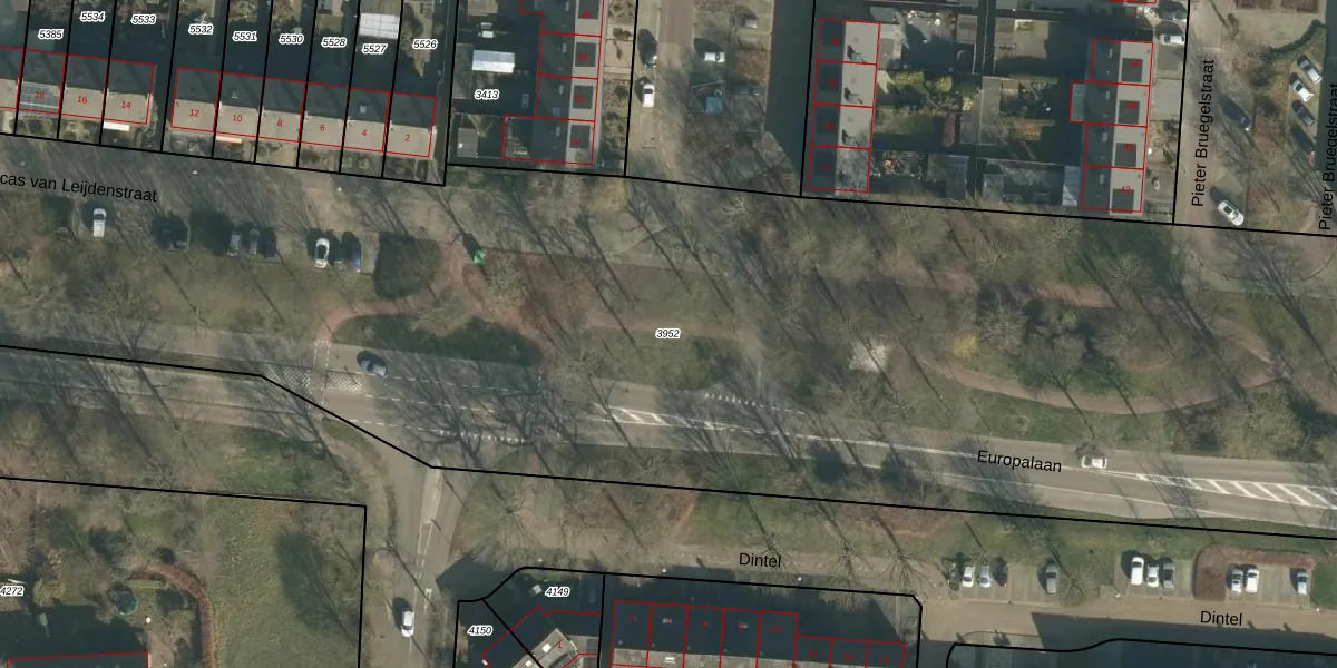
Perceel: LOO00-H-3952
KadastraleKaart.com kan meer dan je denktOntdek meer ›
Filter op bestemming 50+ datasets Eigendomsdata in één klik Percelen CRM
Geen adressen bij dit perceel
10.295 m2 - 600 m
Eigenaar opvragen
LOO00-H-3952 (Loon op Zand)
- Geen postcode aanwezig
Txg6paKyG6NNGaq57 zhLNsG7YxzjUpgrade naar KadastraleKaart Pro
Bekijk op Street View
Download DWG/DXF/Excel
iP YMMaWHfMDU9O4nodR4Upgrade naar KadastraleKaart Pro
SzQWjyPqQLhM OuZCP DFukUpgrade naar KadastraleKaart Pro
7tjw 5pOQQYQLUpgrade naar KadastraleKaart Pro
76 mgDbUPRpKUpgrade naar KadastraleKaart Pro
kL X2vy8zjfv Upgrade naar KadastraleKaart Pro
Us7efUOYMTxpYe0fl0Upgrade naar KadastraleKaart Pro
j7to Lyav9O VUpgrade naar KadastraleKaart Pro
sn6H JmTJsWUpgrade naar KadastraleKaart Pro
N DjnMDDo ZUpgrade naar KadastraleKaart Pro
wRiSm2XTHb0Wi I0Upgrade naar KadastraleKaart Pro
12/12/2025

Percelen
Gebruik de zoekbalk of klik op een perceel om informatie over het perceel te bekijken.