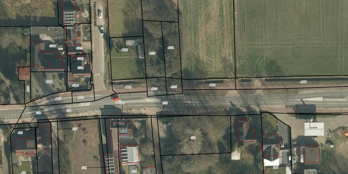
Perceel: LOO00-H-4775
KadastraleKaart.com kan meer dan je denktOntdek meer ›
Filter op bestemming 50+ datasets Eigendomsdata in één klik Percelen CRM
Geen adressen bij dit perceel
85 m2 - 37 m
Eigenaar opvragen
LOO00-H-4775 (Loon op Zand)
- Geen postcode aanwezig
MGQMH3kuVlg6Hw8hD4bgmkxUUpgrade naar KadastraleKaart Pro
Bekijk op Street View
Download DWG/DXF/Excel
d baPLRCIVM7IBH9pLGWltUpgrade naar KadastraleKaart Pro
eGDPIkqyXymylnKUpgrade naar KadastraleKaart Pro
mkW4oXuzLraUpgrade naar KadastraleKaart Pro
9 0qwu3fmM1SVZGhVRgUpgrade naar KadastraleKaart Pro
qcXyUE0iZTd1agVi yYIVUpgrade naar KadastraleKaart Pro
P Czjjl5eXPN0 YUpgrade naar KadastraleKaart Pro
AzywNi3kmBSMG Yv1FsyUpgrade naar KadastraleKaart Pro
EBcMpbL7x2NUpgrade naar KadastraleKaart Pro
YN2FWlpPyjpD 3 9sE2Upgrade naar KadastraleKaart Pro
Mdlo DbPkJbx65dsna ZkV Upgrade naar KadastraleKaart Pro
12/07/2007

Percelen
Gebruik de zoekbalk of klik op een perceel om informatie over het perceel te bekijken.