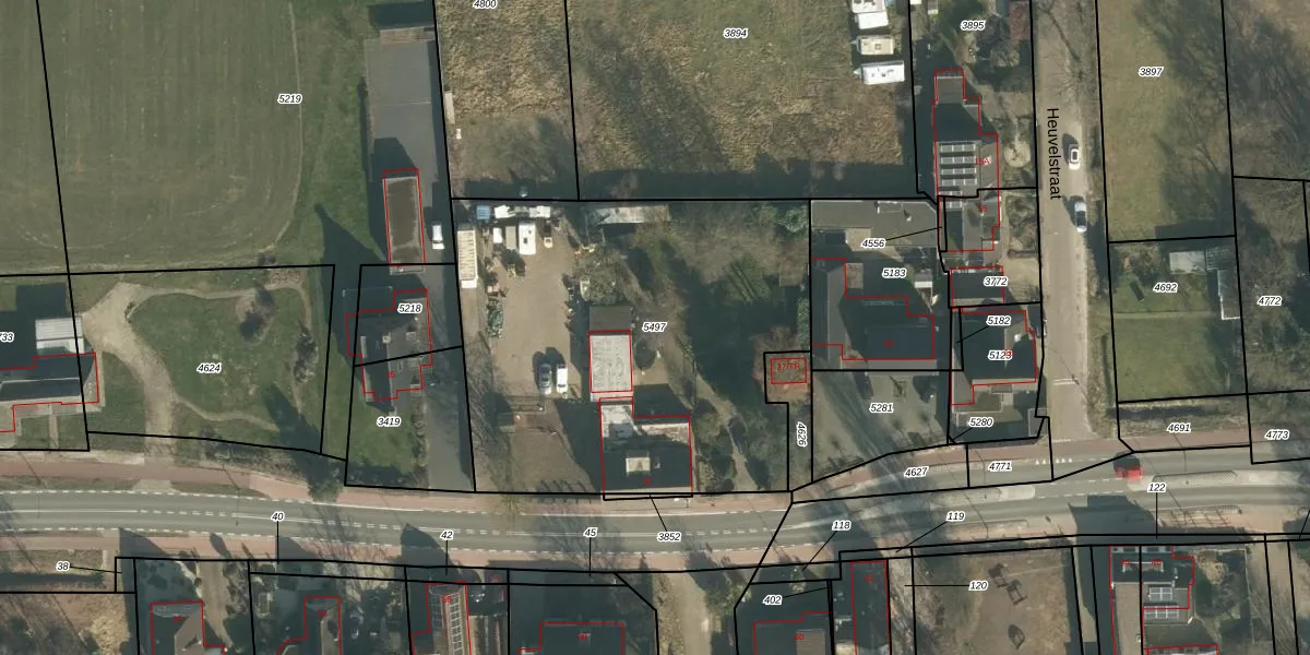
Perceel: LOO00-H-5497
KadastraleKaart.com kan meer dan je denktOntdek meer ›
Filter op bestemming 50+ datasets Eigendomsdata in één klik Percelen CRM
2.275 m2 - 203 m
Eigenaar opvragen
LOO00-H-5497 (Loon op Zand)
- 5171 VM
4d8xd8LFAq22phM0Upgrade naar KadastraleKaart Pro
Verkoopprijs opvragen
Bekijk op Street View
Download DWG/DXF/Excel
h ggl6vUpgrade naar KadastraleKaart Pro
Bx GJ9MAACylUpgrade naar KadastraleKaart Pro
YJkx1DHnFj1ApaqvApNUpgrade naar KadastraleKaart Pro
qBR5SlW pgWiZXY YjyiUpgrade naar KadastraleKaart Pro
Yjio81G15R8jUpgrade naar KadastraleKaart Pro
5IgqEGwoHUpgrade naar KadastraleKaart Pro
S23pMcXdCUpgrade naar KadastraleKaart Pro
hdd9bgYTpq 9f6OscvMELrUpgrade naar KadastraleKaart Pro
tDGa0R Py3hshbUpgrade naar KadastraleKaart Pro
U JFORv MmF3PUpgrade naar KadastraleKaart Pro
29/01/2024

Percelen
Gebruik de zoekbalk of klik op een perceel om informatie over het perceel te bekijken.