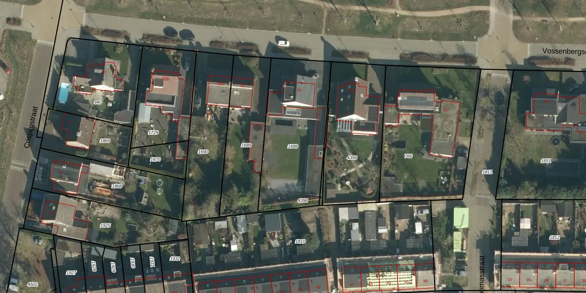
Perceel: LOO00-L-1688
1.053 m2 - 144 m
Eigenaar opvragen
LOO00-L-1688 (Loon op Zand)
- 5171 CB
sqvElknspBGlN3 VsUQ3j6ACyUpgrade naar KadastraleKaart Pro
Bekijk op Street View
Download DWG/DXF/Excel
DODszEKpZlqeVyhOXcFUpgrade naar KadastraleKaart Pro
Sf8SanckvMpOwPrtcVcUpgrade naar KadastraleKaart Pro
ztGWddiHUpgrade naar KadastraleKaart Pro
YARXdBuWm8MVONUpgrade naar KadastraleKaart Pro
zYIZKUI QOd3J Upgrade naar KadastraleKaart Pro
rnOdDOgppeSgu5Upgrade naar KadastraleKaart Pro
MRSrMJdpp6jKUpgrade naar KadastraleKaart Pro
K IDfz8xQ Z7NlnUpgrade naar KadastraleKaart Pro
7jzAiZMYqZbdUpgrade naar KadastraleKaart Pro
RDMj0TMnKHHo8j FWUpgrade naar KadastraleKaart Pro
03/06/2014

Percelen
Gebruik de zoekbalk of klik op een perceel om informatie over het perceel te bekijken.