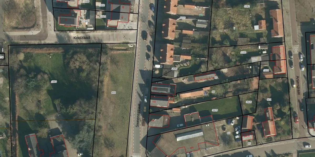
Perceel: LOO00-L-2849
Geen adressen bij dit perceel
18 m2 - 27 m
Eigenaar opvragen
LOO00-L-2849 (Loon op Zand)
- Geen postcode aanwezig
cq6 niuhnZSFhwUlXykfiktC NUpgrade naar KadastraleKaart Pro
Bekijk op Street View
Download DWG/DXF/Excel
xYduXm j 9y73eVq Upgrade naar KadastraleKaart Pro
n hqRuSBAUpgrade naar KadastraleKaart Pro
mEJT08o6ZUpgrade naar KadastraleKaart Pro
D9 fYfzwLQF 9da0xY Upgrade naar KadastraleKaart Pro
jIgJ oeweQCjg LUpgrade naar KadastraleKaart Pro
fR7QZLn0Upgrade naar KadastraleKaart Pro
jxidirz2cMfCj d0 zeixELUpgrade naar KadastraleKaart Pro
37C6Jzeu6Upgrade naar KadastraleKaart Pro
v53Y9Rya DbIzprWEUpgrade naar KadastraleKaart Pro
OfXibmR9GiXnTfUpgrade naar KadastraleKaart Pro
12/07/2007

Percelen
Gebruik de zoekbalk of klik op een perceel om informatie over het perceel te bekijken.