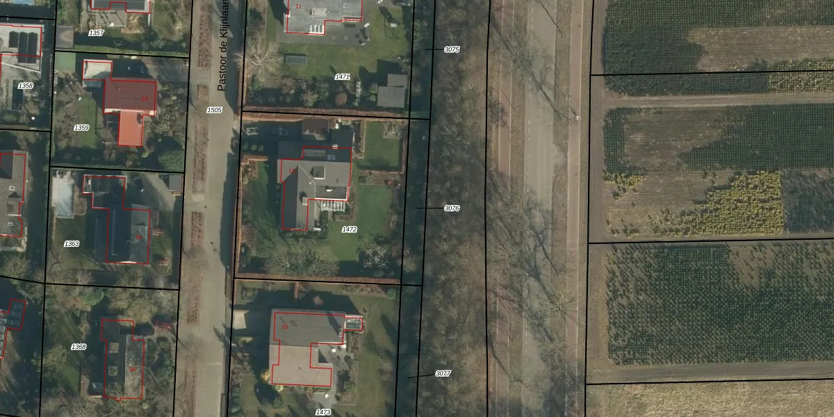
Perceel: LOO00-M-3076
Geen adressen bij dit perceel
202 m2 - 90 m
Eigenaar opvragen
LOO00-M-3076 (Loon op Zand)
- Geen postcode aanwezig
M3Xy3l3Uni4otDfPRw57mYHHUpgrade naar KadastraleKaart Pro
Bekijk op Street View
Download DWG/DXF/Excel
sq584FqeZuQ 2UUpgrade naar KadastraleKaart Pro
zEst8HmWubUpgrade naar KadastraleKaart Pro
U mxJnUqM5W0jUpgrade naar KadastraleKaart Pro
KQe5p1Sl27s zFr6kcUpgrade naar KadastraleKaart Pro
IxnapbgUpgrade naar KadastraleKaart Pro
scV3WPPEnN OP Qo1jQ6sUpgrade naar KadastraleKaart Pro
Ch7eiLtmBx1bia45o AUpgrade naar KadastraleKaart Pro
WWt7f0CBSSoV927Upgrade naar KadastraleKaart Pro
RbTdnt Bw45TUVJTU8LBwc4Upgrade naar KadastraleKaart Pro
y5JOHpa W NQX GOXoJ NEUpgrade naar KadastraleKaart Pro
26/01/2018

Percelen
Gebruik de zoekbalk of klik op een perceel om informatie over het perceel te bekijken.