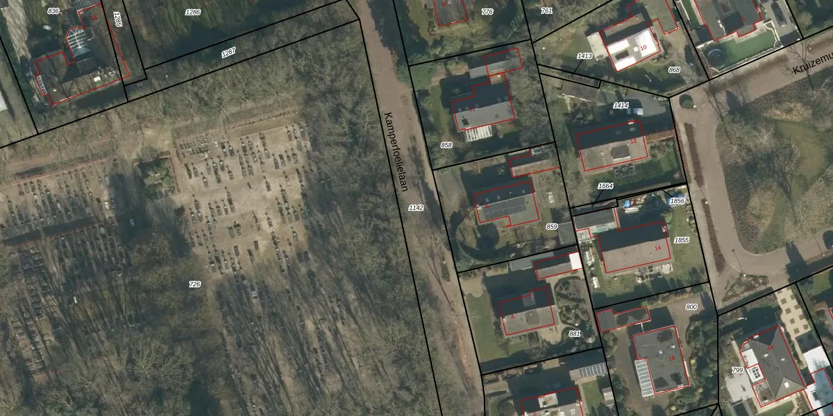
Perceel: LOO00-N-1142
Geen adressen bij dit perceel
1.567 m2 - 325 m
Eigenaar opvragen
LOO00-N-1142 (Loon op Zand)
- Geen postcode aanwezig
iJa4 1ncGdxa7 wQUYTUpgrade naar KadastraleKaart Pro
Bekijk op Street View
Download DWG/DXF/Excel
jRC6QSQ fvjbDNsuZ1rS JUpgrade naar KadastraleKaart Pro
5fZk3ig3wpFJdcUpgrade naar KadastraleKaart Pro
BVg5sfb Upgrade naar KadastraleKaart Pro
e SRX3Zqx 0IOZ35iAn1Upgrade naar KadastraleKaart Pro
sSNMuRmQHfkvZpWKEatjgcPUpgrade naar KadastraleKaart Pro
G I9qFg83Upgrade naar KadastraleKaart Pro
TmnwGlFM6DFRA UKWUpgrade naar KadastraleKaart Pro
t4PBkoBHB dUpgrade naar KadastraleKaart Pro
t2A6BKriG X2FlUDA14UJasUpgrade naar KadastraleKaart Pro
c CELmxiT9 JV7Upgrade naar KadastraleKaart Pro
27/06/2007

Percelen
Gebruik de zoekbalk of klik op een perceel om informatie over het perceel te bekijken.