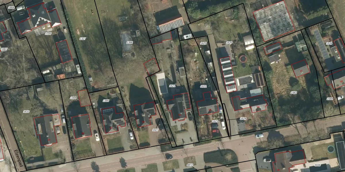
Perceel: LOO00-N-1621
1.110 m2 - 168 m
Eigenaar opvragen
LOO00-N-1621 (Loon op Zand)
- 5175 PB
hhMEe1G U3X3UEVEbPD3tZMUQnZ 9Upgrade naar KadastraleKaart Pro
Verkoopprijs opvragen
Bekijk op Street View
Download DWG/DXF/Excel
2q44KJQfUpgrade naar KadastraleKaart Pro
ncLoY6wXoUOZP5QJNUpgrade naar KadastraleKaart Pro
TtOLBuH5iIK NwUpgrade naar KadastraleKaart Pro
RkEt8P bKVEo 1ZNtsZUpgrade naar KadastraleKaart Pro
S32Z34cXkf7dS EmUpgrade naar KadastraleKaart Pro
IW 4QdJbuh2TQlucBYnWeUpgrade naar KadastraleKaart Pro
E4ty8TRs4 8Upgrade naar KadastraleKaart Pro
AwkLuCU82pfpgTBUpgrade naar KadastraleKaart Pro
Wfm jshn 4XWiGUpgrade naar KadastraleKaart Pro
6I4L wdaAhQ5hKXo5ZDUpgrade naar KadastraleKaart Pro
19/01/2012

Percelen
Gebruik de zoekbalk of klik op een perceel om informatie over het perceel te bekijken.