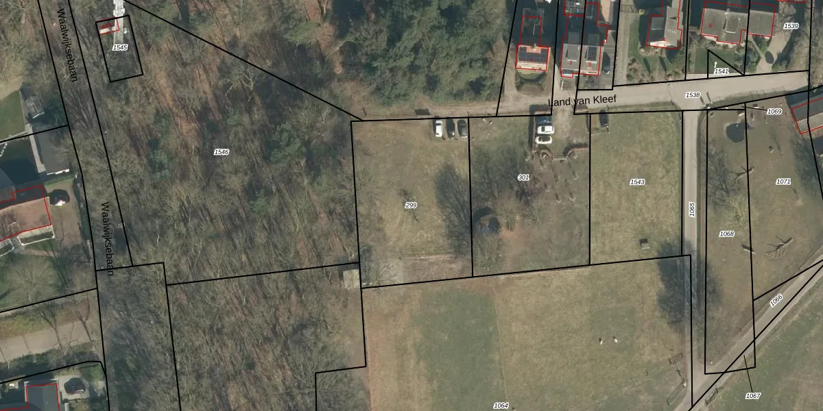
Perceel: LOO00-N-299
KadastraleKaart.com kan meer dan je denktOntdek meer ›
Filter op bestemming 50+ datasets Eigendomsdata in één klik Percelen CRM
Geen adressen bij dit perceel
1.110 m2 - 135 m
Eigenaar opvragen
LOO00-N-299 (Loon op Zand)
- Geen postcode aanwezig
T2J0jQ3FQKbRbXK Je73 Upgrade naar KadastraleKaart Pro
Bekijk op Street View
Download DWG/DXF/Excel
a2myB0pdvSUzq0p ocPUpgrade naar KadastraleKaart Pro
2Z 4GtRlLWNyzpUpgrade naar KadastraleKaart Pro
L2MiY1M8WCUpgrade naar KadastraleKaart Pro
lButP J I1KUpgrade naar KadastraleKaart Pro
V8Lye4Bs EwC5X W8xs WUpgrade naar KadastraleKaart Pro
GgBM9jbwtUpgrade naar KadastraleKaart Pro
Y UjrwCjXC05QBFc Upgrade naar KadastraleKaart Pro
cRznOFGiQB1wP pkK MW0Upgrade naar KadastraleKaart Pro
lXP rNxc8W zHfjWrV7Upgrade naar KadastraleKaart Pro
XXO1y tx 1Upgrade naar KadastraleKaart Pro
27/06/2007

Percelen
Gebruik de zoekbalk of klik op een perceel om informatie over het perceel te bekijken.