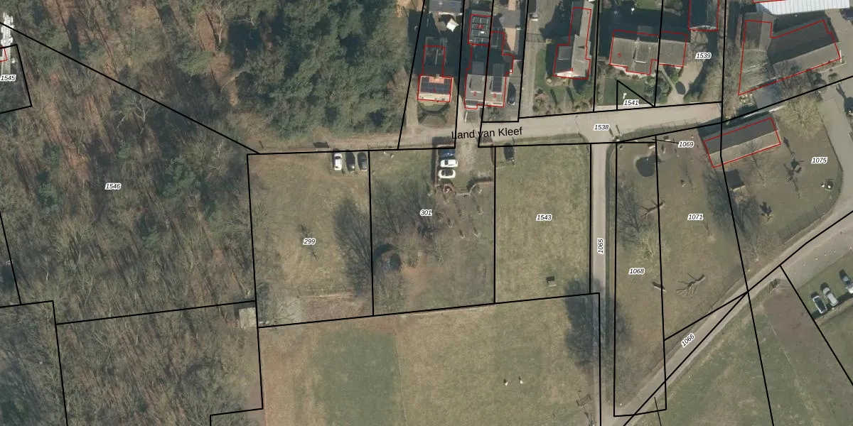
Perceel: LOO00-N-301
KadastraleKaart.com kan meer dan je denktOntdek meer ›
Filter op bestemming 50+ datasets Eigendomsdata in één klik Percelen CRM
1.540 m2 - 265 m
Eigenaar opvragen
LOO00-N-301 (Loon op Zand)
- 5175 BT
tW Frvu0kFoptkxCKlNUpgrade naar KadastraleKaart Pro
Bekijk op Street View
Download DWG/DXF/Excel
0QNX7HQOQ qk BRToUpgrade naar KadastraleKaart Pro
ExspJc6IUpgrade naar KadastraleKaart Pro
D0fhfHxp4KY1h CNRseNpUpgrade naar KadastraleKaart Pro
vZ9zDWLDmei2TZ LNuXhqe Upgrade naar KadastraleKaart Pro
TTHikiwn m QsVpKpTUpgrade naar KadastraleKaart Pro
sj5SiKj HLwCUpgrade naar KadastraleKaart Pro
fkFvmm8GQ5Upgrade naar KadastraleKaart Pro
Vo2LWEAPWhF bEFV4Zw3yvdUpgrade naar KadastraleKaart Pro
hQTa6bK9Km3DRUpgrade naar KadastraleKaart Pro
veGt2A kNUpgrade naar KadastraleKaart Pro
27/06/2007

Percelen
Gebruik de zoekbalk of klik op een perceel om informatie over het perceel te bekijken.