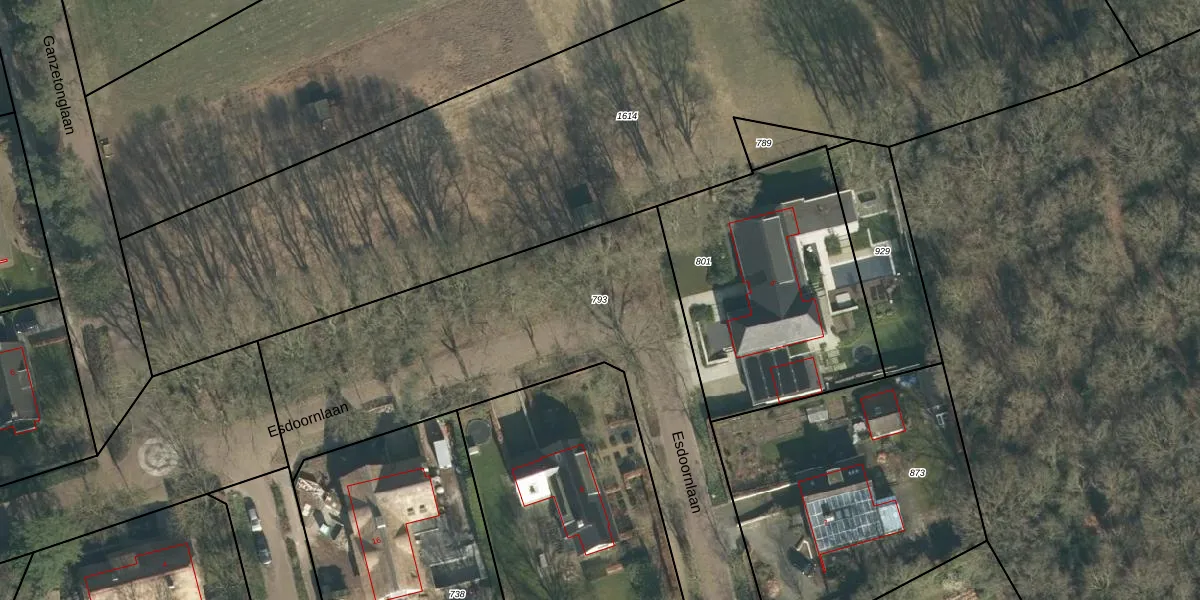
Perceel: LOO00-N-793
KadastraleKaart.com kan meer dan je denktOntdek meer ›
Filter op bestemming 50+ datasets Eigendomsdata in één klik Percelen CRM
Geen adressen bij dit perceel
2.636 m2 - 381 m
Eigenaar opvragen
LOO00-N-793 (Loon op Zand)
- Geen postcode aanwezig
j 4tIkkb 8GOnR5wkIckW25Upgrade naar KadastraleKaart Pro
Bekijk op Street View
Download DWG/DXF/Excel
eosuuBOlz9vk 8Cm1hUpgrade naar KadastraleKaart Pro
RLIfX1p0MRUpgrade naar KadastraleKaart Pro
z9opAwpxYSPEGjtZUL CdBUpgrade naar KadastraleKaart Pro
XoqA1npH6f96Do8CNjizUpgrade naar KadastraleKaart Pro
1Ybd fF64eOH Upgrade naar KadastraleKaart Pro
ZjGXe5RgWqWV43Upgrade naar KadastraleKaart Pro
lAakQZYy5hr C hxUpgrade naar KadastraleKaart Pro
92 hH7 BUpgrade naar KadastraleKaart Pro
t08JP5IPaPc HydeMqPgUpgrade naar KadastraleKaart Pro
GAC4o3kRyj6tRWk dUpgrade naar KadastraleKaart Pro
19/07/2011

Percelen
Gebruik de zoekbalk of klik op een perceel om informatie over het perceel te bekijken.