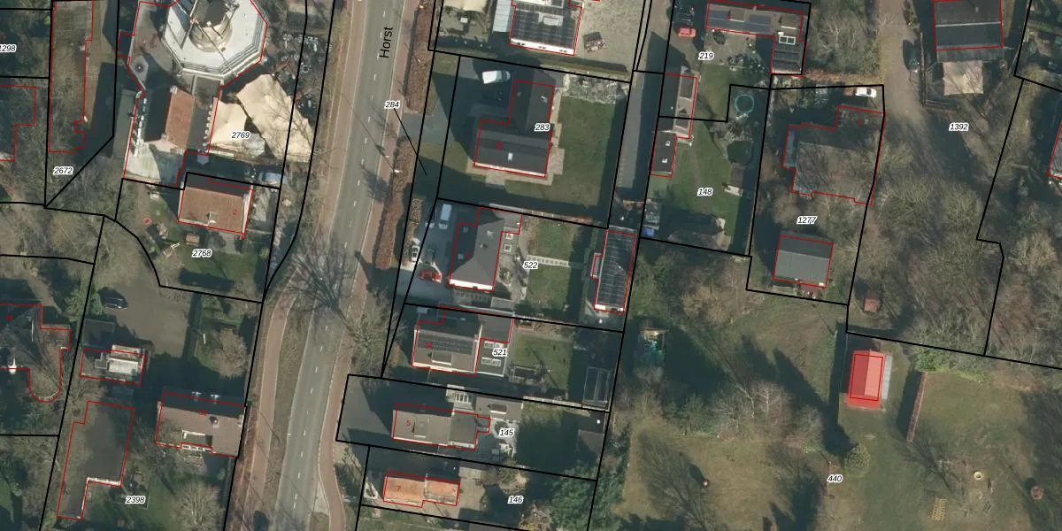
Perceel: LOO00-O-522
KadastraleKaart.com kan meer dan je denktOntdek meer ›
Filter op bestemming 50+ datasets Eigendomsdata in één klik Percelen CRM
975 m2 - 180 m
Eigenaar opvragen
LOO00-O-522 (Loon op Zand)
- 5171 RA
K1YZi1VTg4eNwIQ5zSDr MeRGCAX 4jUpgrade naar KadastraleKaart Pro
Bekijk op Street View
Download DWG/DXF/Excel
l4bJrBeTXPnejU4Upgrade naar KadastraleKaart Pro
fn Lkng sjUpgrade naar KadastraleKaart Pro
CYBuFL4c viSUpgrade naar KadastraleKaart Pro
3KYwc3Y9HwUpgrade naar KadastraleKaart Pro
oek kQ10c7cIgxtrc45AMUpgrade naar KadastraleKaart Pro
oe2Oo6gpp4 qr4Fo2Jg2mg6Upgrade naar KadastraleKaart Pro
DRFHUxbwhyWUpgrade naar KadastraleKaart Pro
Aqsjc9e Qk479tAHw7SKeIJUpgrade naar KadastraleKaart Pro
OWtHKSxFXQd qyUpgrade naar KadastraleKaart Pro
ZPvMtau84dI6bObL7UUpgrade naar KadastraleKaart Pro
03/05/2019

Percelen
Gebruik de zoekbalk of klik op een perceel om informatie over het perceel te bekijken.