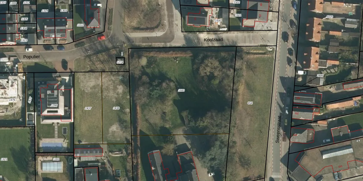
Perceel: LOO00-P-1593
KadastraleKaart.com kan meer dan je denktOntdek meer ›
Filter op bestemming 50+ datasets Eigendomsdata in één klik Percelen CRM
Geen adressen bij dit perceel
2.722 m2 - 210 m
Eigenaar opvragen
LOO00-P-1593 (Loon op Zand)
- Geen postcode aanwezig
ynyjscVm7mvYYVa 7YaGcttNiYFuSUpgrade naar KadastraleKaart Pro
Bekijk op Street View
Download DWG/DXF/Excel
XXSwOSqQjnUpgrade naar KadastraleKaart Pro
jz6ny2A XUpgrade naar KadastraleKaart Pro
JS1EoKoXLWYa PgeXsJIUpgrade naar KadastraleKaart Pro
s9bB7pQOH eTXOEvbkUpgrade naar KadastraleKaart Pro
X7LFD74xcJ29H6s oLGVpeMUpgrade naar KadastraleKaart Pro
DaxtjWSPfrkxhgOkD2RYUpgrade naar KadastraleKaart Pro
o lhEnGBG5uPiHrDqYNFOVUpgrade naar KadastraleKaart Pro
IUZvKVy7ETEUpgrade naar KadastraleKaart Pro
oEV4JY 4Upgrade naar KadastraleKaart Pro
vB7hXGFGy2e 1Ne5MpDUpgrade naar KadastraleKaart Pro
09/01/2025

Percelen
Gebruik de zoekbalk of klik op een perceel om informatie over het perceel te bekijken.