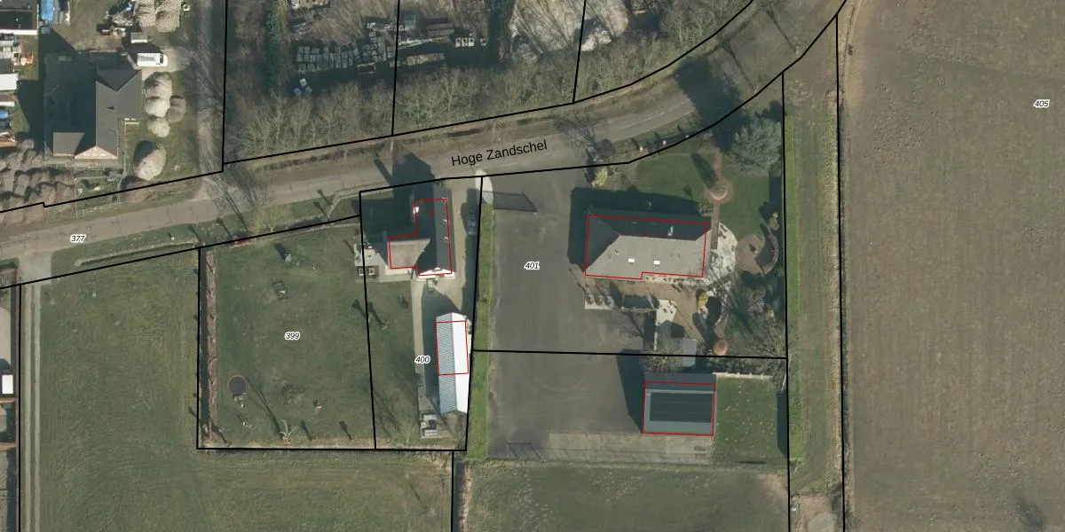
Perceel: LOO00-P-401
KadastraleKaart.com kan meer dan je denktOntdek meer ›
Filter op bestemming 50+ datasets Eigendomsdata in één klik Percelen CRM
2.270 m2 - 207 m
Eigenaar opvragen
LOO00-P-401 (Loon op Zand)
- 5171 TH
NXCfwkQSpQ NnKrzNjUpgrade naar KadastraleKaart Pro
Bekijk op Street View
Download DWG/DXF/Excel
GJmveSJhD2djJ6XL933xrUpgrade naar KadastraleKaart Pro
awSYN PgvrZfA RLAnISUpgrade naar KadastraleKaart Pro
L t1mPx P2MRo Upgrade naar KadastraleKaart Pro
ryrgCKFpQ2oLUpgrade naar KadastraleKaart Pro
s9EY5QDgNCiqR VUpgrade naar KadastraleKaart Pro
aLOvZiDHWZU jluEsZY iOUpgrade naar KadastraleKaart Pro
NBkEHtmSqPGMT481fd2qTUpgrade naar KadastraleKaart Pro
11APSNxF4Upgrade naar KadastraleKaart Pro
pUo oS5HeqGQ7 IpNXHUpgrade naar KadastraleKaart Pro
BIiUlo2tS2t236cjVI Upgrade naar KadastraleKaart Pro
28/10/2025

Percelen
Gebruik de zoekbalk of klik op een perceel om informatie over het perceel te bekijken.