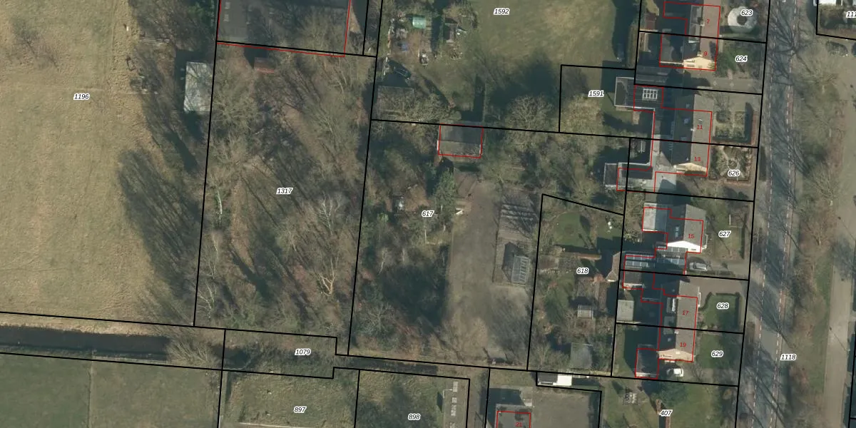
Perceel: LOO00-P-617
KadastraleKaart.com kan meer dan je denktOntdek meer ›
Filter op bestemming 50+ datasets Eigendomsdata in één klik Percelen CRM
Geen adressen bij dit perceel
2.565 m2 - 238 m
Eigenaar opvragen
LOO00-P-617 (Loon op Zand)
- Geen postcode aanwezig
LLArPQXBP FGC1 Wp Upgrade naar KadastraleKaart Pro
Bekijk op Street View
Download DWG/DXF/Excel
1mSy CwPKdyRgzm14Upgrade naar KadastraleKaart Pro
z42y78 QUpgrade naar KadastraleKaart Pro
K nmmsURPGq36QYUpgrade naar KadastraleKaart Pro
JWQR6 xlZ3VVSAQRQnUpgrade naar KadastraleKaart Pro
X3 y9TqKldXI8Upgrade naar KadastraleKaart Pro
ZZD Cxrmt1pmq9T II4Upgrade naar KadastraleKaart Pro
T3 KU17FHixUpgrade naar KadastraleKaart Pro
S h7NkVyj1HUpgrade naar KadastraleKaart Pro
Tqep gnqTTws093DKUpgrade naar KadastraleKaart Pro
jJEUl8mYYBqmwP Upgrade naar KadastraleKaart Pro
18/10/2024

Percelen
Gebruik de zoekbalk of klik op een perceel om informatie over het perceel te bekijken.