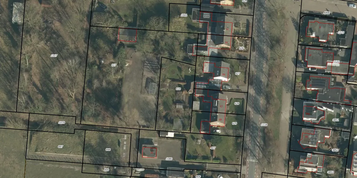
Perceel: LOO00-P-618
KadastraleKaart.com kan meer dan je denktOntdek meer ›
Filter op bestemming 50+ datasets Eigendomsdata in één klik Percelen CRM
Geen adressen bij dit perceel
735 m2 - 119 m
Eigenaar opvragen
LOO00-P-618 (Loon op Zand)
- Geen postcode aanwezig
IB4pXgszX5KE4WuYUpgrade naar KadastraleKaart Pro
Bekijk op Street View
Download DWG/DXF/Excel
vn3feVg0bXlzUpgrade naar KadastraleKaart Pro
NXHFen4v Upgrade naar KadastraleKaart Pro
Pecu923zdVzPUpgrade naar KadastraleKaart Pro
d IUWcqY7Rh9XUpgrade naar KadastraleKaart Pro
t4CeRQ5BBsUpgrade naar KadastraleKaart Pro
Cdgxe RqvOV 0umeMAiWiPTUpgrade naar KadastraleKaart Pro
5 r08XvVS2 w0v1 Upgrade naar KadastraleKaart Pro
F gOg GUe sUpgrade naar KadastraleKaart Pro
t2nT9LxQqZZZ0amUpgrade naar KadastraleKaart Pro
y8ZjG1h jCBW6gZF0824Upgrade naar KadastraleKaart Pro
01/12/2009

Percelen
Gebruik de zoekbalk of klik op een perceel om informatie over het perceel te bekijken.