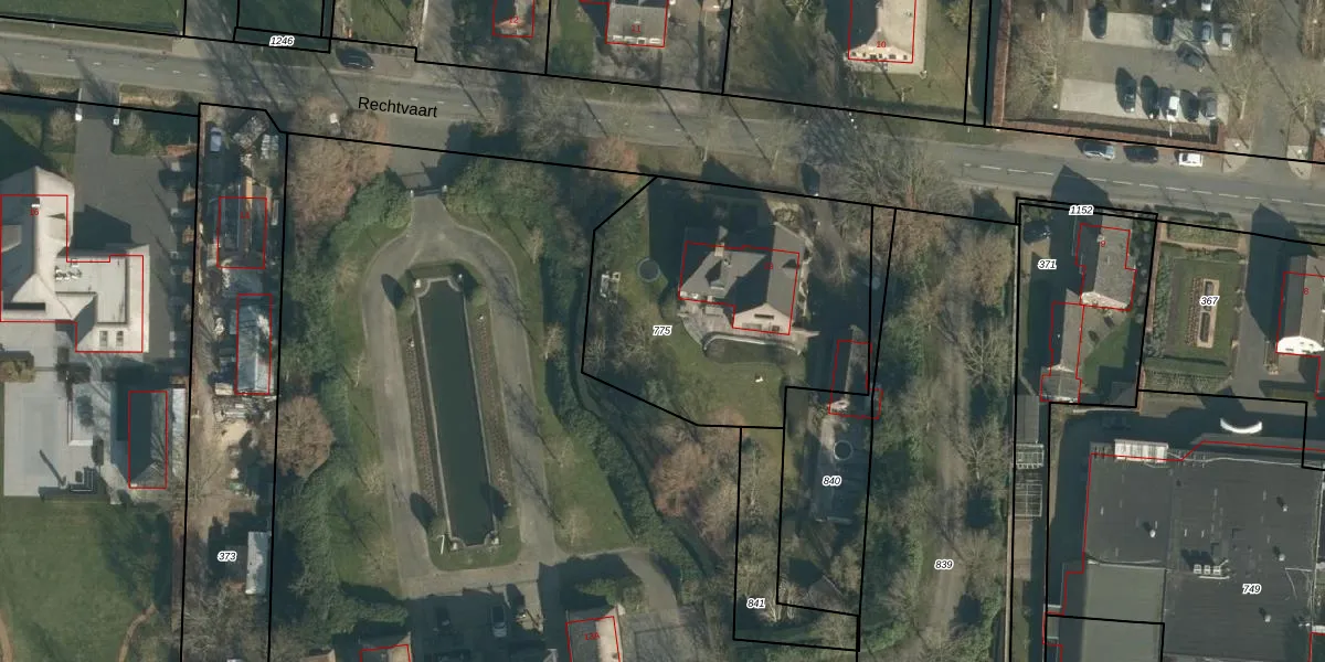
Perceel: LOO00-P-775
KadastraleKaart.com kan meer dan je denktOntdek meer ›
Filter op bestemming 50+ datasets Eigendomsdata in één klik Percelen CRM
1.360 m2 - 147 m
Eigenaar opvragen
LOO00-P-775 (Loon op Zand)
- 5171 TA
i uWq8wVMJD24HW4Upgrade naar KadastraleKaart Pro
Verkoopprijs opvragen
Bekijk op Street View
Download DWG/DXF/Excel
MAeEO0yf8Upgrade naar KadastraleKaart Pro
UvGZjPT 2q P5TDU2IUpgrade naar KadastraleKaart Pro
iLHN4Z fhN fiDeta0sIpkjUpgrade naar KadastraleKaart Pro
UkM TmJ8xBYjUpgrade naar KadastraleKaart Pro
lZaXc 1Y q1LvtZ0I Qe BCUpgrade naar KadastraleKaart Pro
p7sy00ESt3 rxqzUpgrade naar KadastraleKaart Pro
u2bk7XUUP3zSqCxG3hruBUpgrade naar KadastraleKaart Pro
yXmpLKz89 L KR NKUpgrade naar KadastraleKaart Pro
jzH8mBPQvEwp2dUpgrade naar KadastraleKaart Pro
mo0kc tA7tzU GV0qjwefmUpgrade naar KadastraleKaart Pro
12/07/2007

Percelen
Gebruik de zoekbalk of klik op een perceel om informatie over het perceel te bekijken.