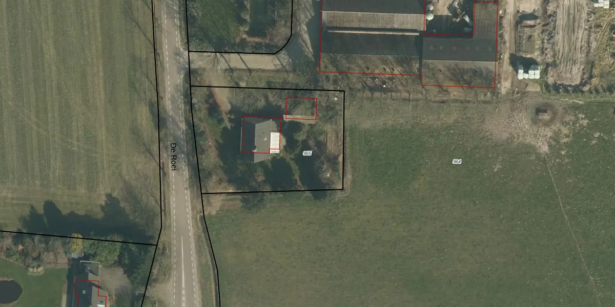
Perceel: LOO00-P-965
KadastraleKaart.com kan meer dan je denktOntdek meer ›
Filter op bestemming 50+ datasets Eigendomsdata in één klik Percelen CRM
1.620 m2 - 163 m
Eigenaar opvragen
LOO00-P-965 (Loon op Zand)
- 5171 VJ
ieTJ0bEyUdvN7 Jvd1kqJJUpgrade naar KadastraleKaart Pro
Verkoopprijs opvragen
Bekijk op Street View
Download DWG/DXF/Excel
lfDzDULRkB5itUpgrade naar KadastraleKaart Pro
HA9 QsrQ6pjMnUEnqAv qUpgrade naar KadastraleKaart Pro
LshGO3vqnZ6qXX s3Upgrade naar KadastraleKaart Pro
D5oOGOX7O1HdYUpgrade naar KadastraleKaart Pro
zKrSYIIU5DMUpgrade naar KadastraleKaart Pro
wvzD4YID7tMlpAYYiEz Upgrade naar KadastraleKaart Pro
cIKghY XwLf2Upgrade naar KadastraleKaart Pro
qgYmTe82G1 5gjTg5M Upgrade naar KadastraleKaart Pro
HbZzwI9FBzIUpgrade naar KadastraleKaart Pro
DQopALdDVxSVqI Upgrade naar KadastraleKaart Pro
17/01/2008

Percelen
Gebruik de zoekbalk of klik op een perceel om informatie over het perceel te bekijken.