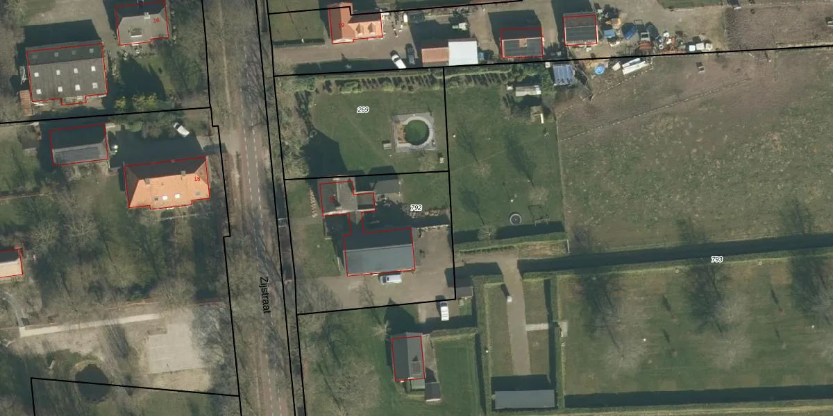
Perceel: LOO00-Q-792
KadastraleKaart.com kan meer dan je denktOntdek meer ›
Filter op bestemming 50+ datasets Eigendomsdata in één klik Percelen CRM
1.230 m2 - 141 m
Eigenaar opvragen
LOO00-Q-792 (Loon op Zand)
- 5176 NG
SxgCHZfg2rLqG 2Y3J2 Dqc1BUpgrade naar KadastraleKaart Pro
Verkoopprijs opvragen
Bekijk op Street View
Download DWG/DXF/Excel
w SogKLgkckUpgrade naar KadastraleKaart Pro
Gw03EhNx21bZUpgrade naar KadastraleKaart Pro
5bJ85qQu4obK94xaDlEqpRUpgrade naar KadastraleKaart Pro
K28 VicM0 EAcZRoUpgrade naar KadastraleKaart Pro
etidbpM0qJd C5HQUpgrade naar KadastraleKaart Pro
1ORyGdmr7KcL0YLdyU YUpgrade naar KadastraleKaart Pro
Q0cTAXk cOf1TOHW53bUdUpgrade naar KadastraleKaart Pro
gRVDSaCDsE8LGpVTZwUpgrade naar KadastraleKaart Pro
S4 u k3 KuUCQmVUpgrade naar KadastraleKaart Pro
lTtu iuKj47RfnY9OUpgrade naar KadastraleKaart Pro
09/09/2013

Percelen
Gebruik de zoekbalk of klik op een perceel om informatie over het perceel te bekijken.