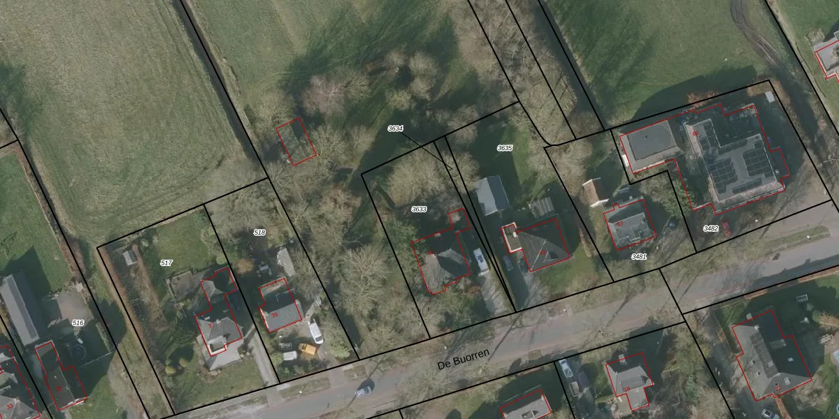
Perceel: LPH00-B-3633
KadastraleKaart.com kan meer dan je denktOntdek meer ›
Filter op bestemming 50+ datasets Eigendomsdata in één klik Percelen CRM
800 m2 - 128 m
Eigenaar opvragen
LPH00-B-3633 (Lippenhuizen)
- 8408 HH
jG22jphsbZ2X1tGS96Upgrade naar KadastraleKaart Pro
Bekijk op Street View
Download DWG/DXF/Excel
rGua gii3p6Upgrade naar KadastraleKaart Pro
t mzUh7pUbcSPfOUpgrade naar KadastraleKaart Pro
z6dEW0mO3vZUpgrade naar KadastraleKaart Pro
2 5f1WfWUBitUpgrade naar KadastraleKaart Pro
BN0WlV5ihoNI Upgrade naar KadastraleKaart Pro
DZ9vz 8uPoy7 pNmHZixUpgrade naar KadastraleKaart Pro
J5J TGmE T0NUpgrade naar KadastraleKaart Pro
Xg9M 8O y gkB2pYpt0IYUpgrade naar KadastraleKaart Pro
axuYc3VXSbsra 4Xo2 Upgrade naar KadastraleKaart Pro
Dd84ns9Y3 U U6DqN lGqUpgrade naar KadastraleKaart Pro
13/02/2007

Percelen
Gebruik de zoekbalk of klik op een perceel om informatie over het perceel te bekijken.