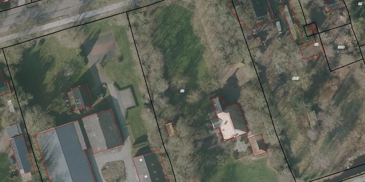
Perceel: LPH00-H-10
KadastraleKaart.com kan meer dan je denktOntdek meer ›
Filter op bestemming 50+ datasets Eigendomsdata in één klik Percelen CRM
7.210 m2 - 363 m
Eigenaar opvragen
LPH00-H-10 (Lippenhuizen)
- 8408 HA
Ia9cas 4TGZ0Fl iuCB X9SrElCUpgrade naar KadastraleKaart Pro
Verkoopprijs opvragen
Bekijk op Street View
Download DWG/DXF/Excel
x pLmjkmt6w5RhrJZUpgrade naar KadastraleKaart Pro
MjgMxR2FmJxuqMd3uTF Upgrade naar KadastraleKaart Pro
g2eL1kuLkaOYNUpgrade naar KadastraleKaart Pro
3 Kgcw C3PMY1aIRzl KUpgrade naar KadastraleKaart Pro
zM0JXF ZbBc1W wuUpgrade naar KadastraleKaart Pro
0kkziN3DwBlsUpgrade naar KadastraleKaart Pro
lyzppjCePrg3Mjz1 CxUpgrade naar KadastraleKaart Pro
0WXEf3 vhNktn9Upgrade naar KadastraleKaart Pro
A K ZNx0fUpgrade naar KadastraleKaart Pro
9sBzpTdPxAVdLQbkUpgrade naar KadastraleKaart Pro
03/10/2001

Percelen
Gebruik de zoekbalk of klik op een perceel om informatie over het perceel te bekijken.