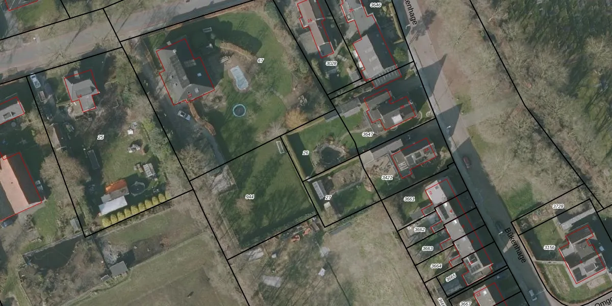
Perceel: LPH00-H-26
KadastraleKaart.com kan meer dan je denktOntdek meer ›
Filter op bestemming 50+ datasets Eigendomsdata in één klik Percelen CRM
Geen adressen bij dit perceel
345 m2 - 74 m
Eigenaar opvragen
LPH00-H-26 (Lippenhuizen)
- Geen postcode aanwezig
w RyRwtvhUJVrGYvPfr1 2VekjKUpgrade naar KadastraleKaart Pro
Bekijk op Street View
Download DWG/DXF/Excel
qDgrceEjbeqBvPYeUpgrade naar KadastraleKaart Pro
z NwTU8kkvArtQJUpgrade naar KadastraleKaart Pro
iqmdYDEBM8nBUpgrade naar KadastraleKaart Pro
0VPxHx1jXUAzBSs Upgrade naar KadastraleKaart Pro
d2naM3eQWpgqLqpcaEdctn1Upgrade naar KadastraleKaart Pro
ADMPc 0znUpgrade naar KadastraleKaart Pro
1 yJT RUpgrade naar KadastraleKaart Pro
dHE 1wy3nUpgrade naar KadastraleKaart Pro
v89QmqM tfucyUpgrade naar KadastraleKaart Pro
htmfn JZMhxXQUpgrade naar KadastraleKaart Pro
09/02/2005

Percelen
Gebruik de zoekbalk of klik op een perceel om informatie over het perceel te bekijken.