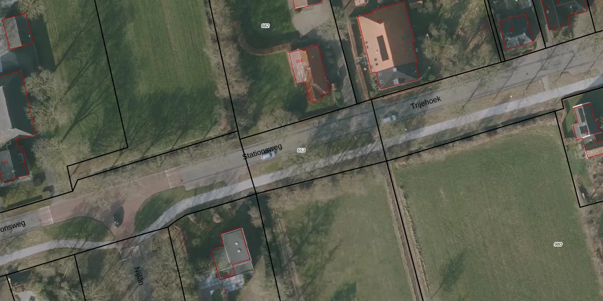
Perceel: LPH00-H-653
Geen adressen bij dit perceel
930 m2 - 130 m
Eigenaar opvragen
LPH00-H-653 (Lippenhuizen)
- Geen postcode aanwezig
J0HMZ giiJr2 9Qj1irUpgrade naar KadastraleKaart Pro
Bekijk op Street View
Download DWG/DXF/Excel
y yC vqktGvvQsSTHor ZzrUpgrade naar KadastraleKaart Pro
l NjclAOrs4KQ9eCUIUpgrade naar KadastraleKaart Pro
Bp2faoQh6T 4wNI zUpgrade naar KadastraleKaart Pro
nBbflGpagfjdUpgrade naar KadastraleKaart Pro
XH7olW3Uvr rWYQmUpgrade naar KadastraleKaart Pro
hnRa3NZzG zOYuy9Upgrade naar KadastraleKaart Pro
Z6qkX0mK TqUpgrade naar KadastraleKaart Pro
404gnBuOl9thUpgrade naar KadastraleKaart Pro
zRLos4UolEGmUpgrade naar KadastraleKaart Pro
3C2Rj5dCAw Ltd Upgrade naar KadastraleKaart Pro
04/11/2002

Percelen
Gebruik de zoekbalk of klik op een perceel om informatie over het perceel te bekijken.