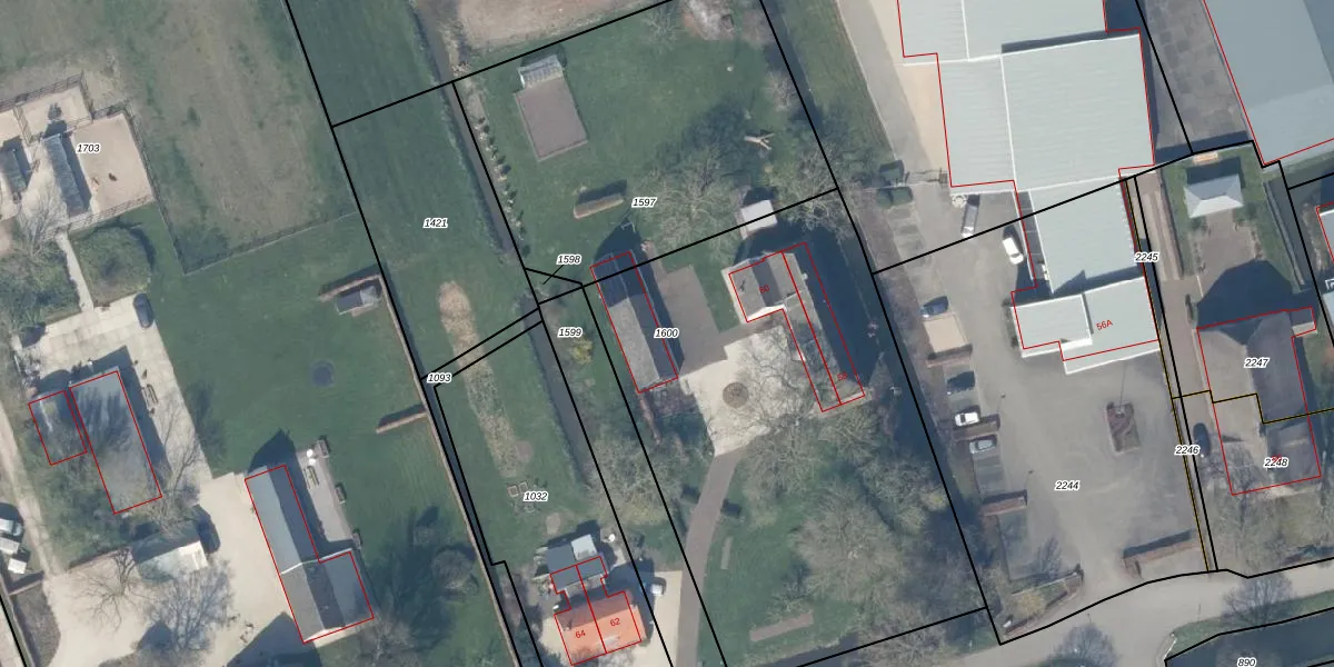
Perceel: LPK00-E-1600
KadastraleKaart.com kan meer dan je denktOntdek meer ›
Filter op bestemming 50+ datasets Eigendomsdata in één klik Percelen CRM
2.660 m2 - 212 m
Eigenaar opvragen
LPK00-E-1600 (Lopik)
- 3405 AJ
seI CAsW4PscbqcMUpgrade naar KadastraleKaart Pro
Verkoopprijs opvragen
Bekijk op Street View
Download DWG/DXF/Excel
c 1bW PGEYGozcvPfUpgrade naar KadastraleKaart Pro
hytTpZ3 Upgrade naar KadastraleKaart Pro
FcEU0 m ErCluS1QX8rg 2pUpgrade naar KadastraleKaart Pro
ACJaE0 cUpgrade naar KadastraleKaart Pro
pM6KS7otVvVLwb4nIUpgrade naar KadastraleKaart Pro
cd Ea8LEGPth13lHhxVMUpgrade naar KadastraleKaart Pro
Hm8sFcdfc8TR9ZUpgrade naar KadastraleKaart Pro
DeA g6jdDRIAs9NQcHpGUpgrade naar KadastraleKaart Pro
umHLpXFIXOX8dzTSfBL WnUpgrade naar KadastraleKaart Pro
iFuHd9bWMTLdNdNhk03Upgrade naar KadastraleKaart Pro
22/02/2016

Percelen
Gebruik de zoekbalk of klik op een perceel om informatie over het perceel te bekijken.