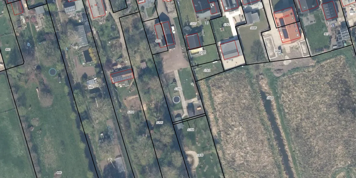
Perceel: LPK00-F-1155
KadastraleKaart.com kan meer dan je denktOntdek meer ›
Filter op bestemming 50+ datasets Eigendomsdata in één klik Percelen CRM
1.128 m2 - 191 m
Eigenaar opvragen
LPK00-F-1155 (Lopik)
- 3412 KV
La o3P 3HUouDM5 gQTvjjUpgrade naar KadastraleKaart Pro
Verkoopprijs opvragen
Bekijk op Street View
Download DWG/DXF/Excel
nPweni5tS9wbEPPeq3lEx 8Upgrade naar KadastraleKaart Pro
spBg9Gbp4H sk4boOsm1kL7Upgrade naar KadastraleKaart Pro
pf84uuFtL g7HUpgrade naar KadastraleKaart Pro
WO75a5izfUpgrade naar KadastraleKaart Pro
ZqvY7VyW9wtxUpgrade naar KadastraleKaart Pro
r 0MT A7Upgrade naar KadastraleKaart Pro
U5dtGNpx955PI8Upgrade naar KadastraleKaart Pro
MHBQmiytVM7gUpgrade naar KadastraleKaart Pro
Dd7RH5C9NVJjBkdsriZ1EUpgrade naar KadastraleKaart Pro
4j9hje s5vU2F n Upgrade naar KadastraleKaart Pro
16/11/2023

Percelen
Gebruik de zoekbalk of klik op een perceel om informatie over het perceel te bekijken.