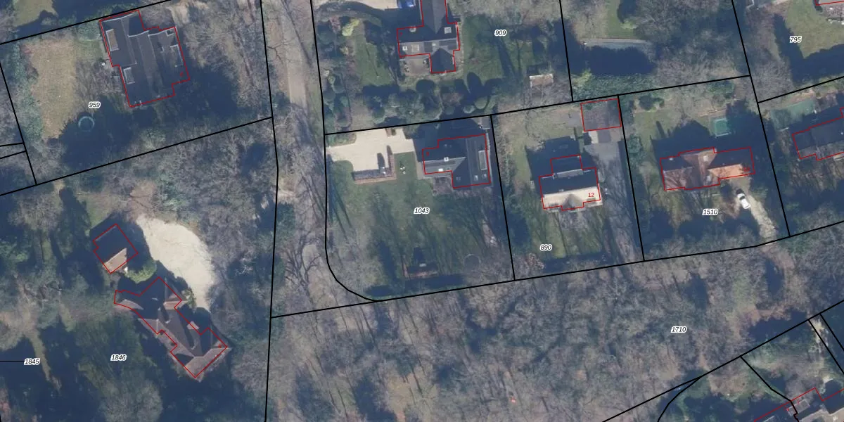
Perceel: LRN01-C-1043
KadastraleKaart.com kan meer dan je denktOntdek meer ›
Filter op bestemming 50+ datasets Eigendomsdata in één klik Percelen CRM
1.669 m2 - 158 m
Eigenaar opvragen
LRN01-C-1043 (Laren Noord-Holland)
- 1251 EH
Fxv69 Aewwf RWfw65qGK5nSa Upgrade naar KadastraleKaart Pro
Bekijk op Street View
Download DWG/DXF/Excel
FKm6wOwxPt2ipGSDqoUpgrade naar KadastraleKaart Pro
0rjPjeAX01FtkhYrEw bUpgrade naar KadastraleKaart Pro
n8ZhH6Hb KTogZkdjUMbH4rUpgrade naar KadastraleKaart Pro
x3ANr3PhMN4 Upgrade naar KadastraleKaart Pro
su qvCJra1Upgrade naar KadastraleKaart Pro
pQI1jsTKUpgrade naar KadastraleKaart Pro
JcAC3I JZkPa t491AfUpgrade naar KadastraleKaart Pro
mJtalh0RIs7 w1k49zbdb ZUpgrade naar KadastraleKaart Pro
0oArLESmUpgrade naar KadastraleKaart Pro
uFAMYD7RuIUnHVpEqYUpgrade naar KadastraleKaart Pro
29/10/1999

Percelen
Gebruik de zoekbalk of klik op een perceel om informatie over het perceel te bekijken.