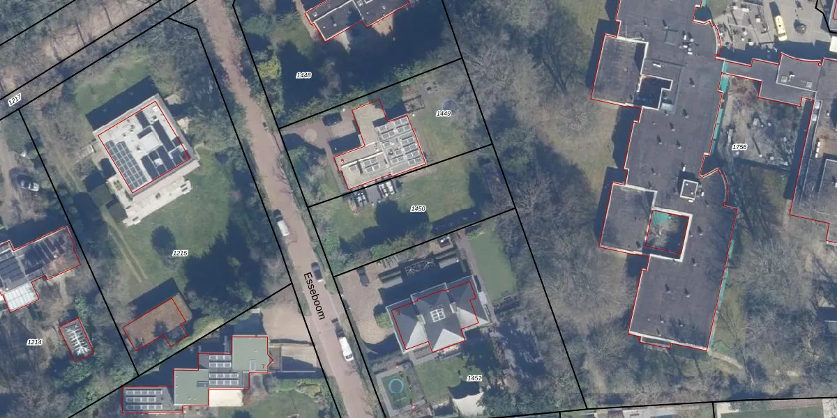
Perceel: LRN01-C-1450
KadastraleKaart.com kan meer dan je denktOntdek meer ›
Filter op bestemming 50+ datasets Eigendomsdata in één klik Percelen CRM
Geen adressen bij dit perceel
784 m2 - 127 m
Eigenaar opvragen
LRN01-C-1450 (Laren Noord-Holland)
- Geen postcode aanwezig
j5WdWLB 0acW42R chydhCeGrgJtyUpgrade naar KadastraleKaart Pro
Bekijk op Street View
Download DWG/DXF/Excel
ZtUboqGJn1FDG 6TTaeaftUpgrade naar KadastraleKaart Pro
33oOId5j mKC ofUpgrade naar KadastraleKaart Pro
bfttbQ gmPvuEvXFp4Upgrade naar KadastraleKaart Pro
sDDSRJb Z2LUpgrade naar KadastraleKaart Pro
3PQ1d0lF iaUpgrade naar KadastraleKaart Pro
0ENG 5V9LzO l3lbDUpgrade naar KadastraleKaart Pro
qMjumeRf7J66i7bI6 a5 7 Upgrade naar KadastraleKaart Pro
dfbvcuO1KvbI fQHLtjs Upgrade naar KadastraleKaart Pro
LrNzBxIGdUpgrade naar KadastraleKaart Pro
9SGmh5RtWFzAo5U UKriUpgrade naar KadastraleKaart Pro
15/11/1999

Percelen
Gebruik de zoekbalk of klik op een perceel om informatie over het perceel te bekijken.