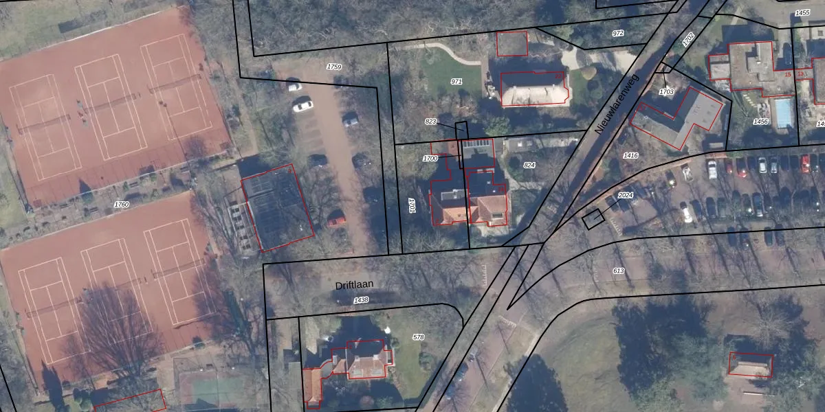
Perceel: LRN01-C-1701
KadastraleKaart.com kan meer dan je denktOntdek meer ›
Filter op bestemming 50+ datasets Eigendomsdata in één klik Percelen CRM
434 m2 - 86 m
Eigenaar opvragen
LRN01-C-1701 (Laren Noord-Holland)
- 1251 KB
kpK3Ptg2KTCHpQFNUpgrade naar KadastraleKaart Pro
Verkoopprijs opvragen
Bekijk op Street View
Download DWG/DXF/Excel
rh5xvb4r jRPnaB y7Upgrade naar KadastraleKaart Pro
Wj4MVlrf7SzvXyYlUpgrade naar KadastraleKaart Pro
taqn2IWDBuzHCFGqCXYq Upgrade naar KadastraleKaart Pro
vCmfSPsL9c4Hga5VYbUpgrade naar KadastraleKaart Pro
6BCYxODGeKeWeUpgrade naar KadastraleKaart Pro
APoBNQhjUpgrade naar KadastraleKaart Pro
yjdw lF lcnO0LUpgrade naar KadastraleKaart Pro
9e lZZiCly19uarlw6Ay1aUpgrade naar KadastraleKaart Pro
Us1Sa cIK bz5YUpgrade naar KadastraleKaart Pro
80iKQBw Upgrade naar KadastraleKaart Pro
15/11/1999

Percelen
Gebruik de zoekbalk of klik op een perceel om informatie over het perceel te bekijken.