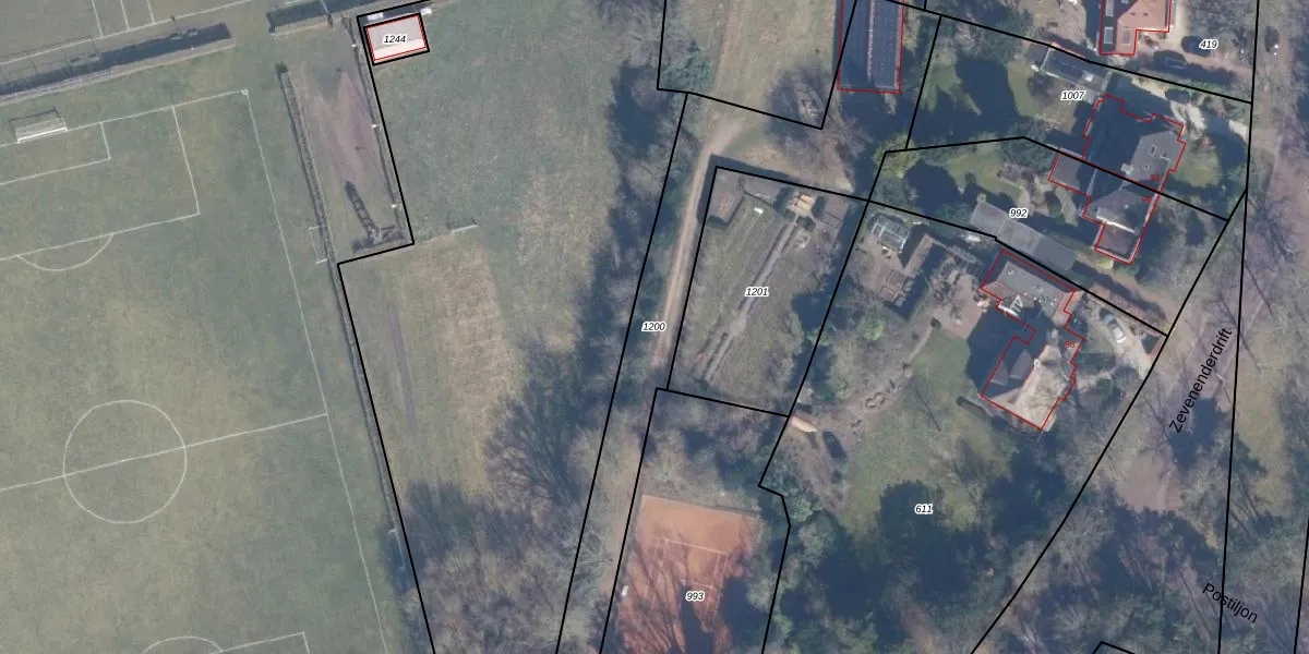
Perceel: LRN01-D-1200
KadastraleKaart.com kan meer dan je denktOntdek meer ›
Filter op bestemming 50+ datasets Eigendomsdata in één klik Percelen CRM
2.644 m2 - 480 m
Eigenaar opvragen
LRN01-D-1200 (Laren Noord-Holland)
- 1251 GH
7jcH6vlsHRofCVAybxUpgrade naar KadastraleKaart Pro
Bekijk op Street View
Download DWG/DXF/Excel
NIAvOGYVEQa9Upgrade naar KadastraleKaart Pro
CvG6D0Ol vhhYf0BeFUpgrade naar KadastraleKaart Pro
z2E8GWuNbPnUpgrade naar KadastraleKaart Pro
cDMSB5nztIihMvmS6Rh3JUpgrade naar KadastraleKaart Pro
fsOY jAx2cRB oCT6uQKPvUpgrade naar KadastraleKaart Pro
GcAFMWEk6h6vxHVHnjLCbCWUpgrade naar KadastraleKaart Pro
IiHOYWQbHG 9Dq8YlUpgrade naar KadastraleKaart Pro
TKhsI2eltoIUpgrade naar KadastraleKaart Pro
317au8pV8 tUpgrade naar KadastraleKaart Pro
nbeHUwKOtUpgrade naar KadastraleKaart Pro
22/01/2025

Percelen
Gebruik de zoekbalk of klik op een perceel om informatie over het perceel te bekijken.