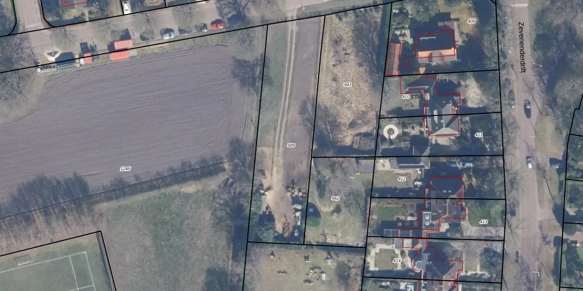
Perceel: LRN01-D-589
KadastraleKaart.com kan meer dan je denktOntdek meer ›
Filter op bestemming 50+ datasets Eigendomsdata in één klik Percelen CRM
Geen adressen bij dit perceel
1.431 m2 - 194 m
Eigenaar opvragen
LRN01-D-589 (Laren Noord-Holland)
- Geen postcode aanwezig
h 7j GJE97fRzGbbN1I8p7 MUpgrade naar KadastraleKaart Pro
Bekijk op Street View
Download DWG/DXF/Excel
11mIrqK zwUpgrade naar KadastraleKaart Pro
FZr eHLWUpgrade naar KadastraleKaart Pro
H4YBsYLI w qjarOQ0RWLUUpgrade naar KadastraleKaart Pro
n5 06nDd2d4Qhb FH4Upgrade naar KadastraleKaart Pro
Q4q nkkXfb9ZfJxcUpgrade naar KadastraleKaart Pro
CH0zaIt8zrqgL2DZ n5Upgrade naar KadastraleKaart Pro
bzIcmyWhBwreWUpgrade naar KadastraleKaart Pro
R3BagEcwLXHRBhrUpgrade naar KadastraleKaart Pro
1rlwWSvQPEUpgrade naar KadastraleKaart Pro
KhEKZc3hPKpx1pqBuQUpgrade naar KadastraleKaart Pro
21/04/2009

Percelen
Gebruik de zoekbalk of klik op een perceel om informatie over het perceel te bekijken.