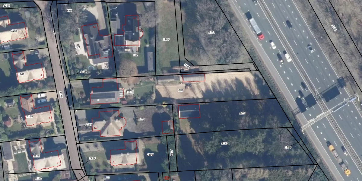
Perceel: LRN01-D-752
KadastraleKaart.com kan meer dan je denktOntdek meer ›
Filter op bestemming 50+ datasets Eigendomsdata in één klik Percelen CRM
1.755 m2 - 251 m
Eigenaar opvragen
LRN01-D-752 (Laren Noord-Holland)
- 1251 DZ
gUTV1IdGcMIkQUhvAQo7QewgcUpgrade naar KadastraleKaart Pro
Bekijk op Street View
Download DWG/DXF/Excel
W ILpqKTUpgrade naar KadastraleKaart Pro
2 WYgPgoqyEn RUpgrade naar KadastraleKaart Pro
ftb31eKGp6ZtbuekOUpgrade naar KadastraleKaart Pro
3hN89OgVGUpgrade naar KadastraleKaart Pro
q8j3O8XlVw2vN2sBiUpgrade naar KadastraleKaart Pro
zYKvBA PPzAUpgrade naar KadastraleKaart Pro
9G1rhjIDLtvWLUpgrade naar KadastraleKaart Pro
LgYKk W4Upgrade naar KadastraleKaart Pro
fx798e lzd4IKUpgrade naar KadastraleKaart Pro
VaCqzwymORFF Zb6OMuONUpgrade naar KadastraleKaart Pro
13/05/2011

Percelen
Gebruik de zoekbalk of klik op een perceel om informatie over het perceel te bekijken.