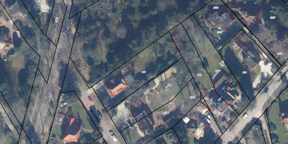
Perceel: LRN01-E-269
KadastraleKaart.com kan meer dan je denktOntdek meer ›
Filter op bestemming 50+ datasets Eigendomsdata in één klik Percelen CRM
1.305 m2 - 171 m
Eigenaar opvragen
LRN01-E-269 (Laren Noord-Holland)
- 1251 GS
nwHisaryU chhniL x t0BHbwlUpgrade naar KadastraleKaart Pro
Bekijk op Street View
Download DWG/DXF/Excel
BFICtF jkjyD4MwMbOSUpgrade naar KadastraleKaart Pro
fVcYxDdWUpgrade naar KadastraleKaart Pro
n8X3EPmYmLPll9RRJNUpgrade naar KadastraleKaart Pro
OZIeDqP1z BKgdUpgrade naar KadastraleKaart Pro
L tdyDJ Upgrade naar KadastraleKaart Pro
0E5d ymqARg6qf1Upgrade naar KadastraleKaart Pro
Cc2QmDsepUpgrade naar KadastraleKaart Pro
2aNF5OX43UEMSaUpgrade naar KadastraleKaart Pro
5 c zt AftUpgrade naar KadastraleKaart Pro
YbEkUcR3i5qZCSjLG UeNmUpgrade naar KadastraleKaart Pro
15/10/1999

Percelen
Gebruik de zoekbalk of klik op een perceel om informatie over het perceel te bekijken.