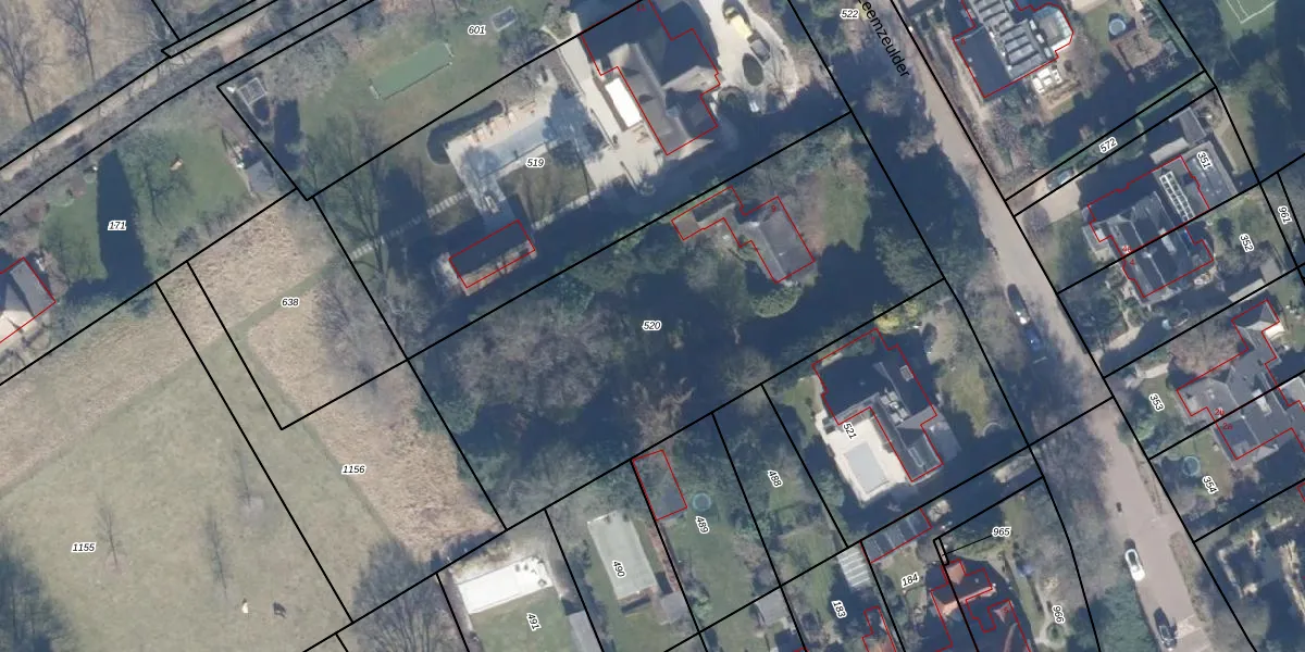
Perceel: LRN01-E-520
KadastraleKaart.com kan meer dan je denktOntdek meer ›
Filter op bestemming 50+ datasets Eigendomsdata in één klik Percelen CRM
2.327 m2 - 215 m
Eigenaar opvragen
LRN01-E-520 (Laren Noord-Holland)
- 1251 AM
uuIhYDbbN9UZ0CUZzG Upgrade naar KadastraleKaart Pro
Bekijk op Street View
Download DWG/DXF/Excel
iVQyniw4eJ5FgUpgrade naar KadastraleKaart Pro
OiHriXIgevlY2WdgnFoUpgrade naar KadastraleKaart Pro
Tk2vcL f6idPZXN0URDU Upgrade naar KadastraleKaart Pro
0gvEaTDYZqnu 5ZUpgrade naar KadastraleKaart Pro
pObKiD HdBzyOR4q81FUpgrade naar KadastraleKaart Pro
Alqb0 fHNI6qaJkhcWdUpgrade naar KadastraleKaart Pro
hA0 s2 Upgrade naar KadastraleKaart Pro
ldQ8NTcLE sdbXQUpgrade naar KadastraleKaart Pro
fDzWc1EfidHrN0HUpgrade naar KadastraleKaart Pro
b 3rAuEilQlR4cAU dbuYUpgrade naar KadastraleKaart Pro
17/11/1999

Percelen
Gebruik de zoekbalk of klik op een perceel om informatie over het perceel te bekijken.