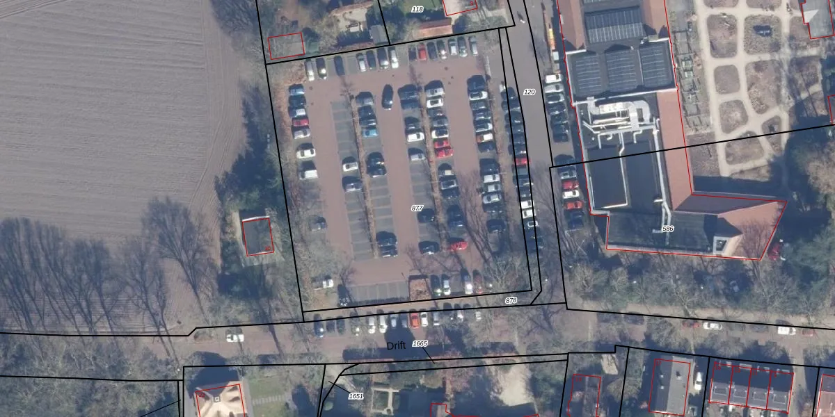
Perceel: LRN01-E-877
KadastraleKaart.com kan meer dan je denktOntdek meer ›
Filter op bestemming 50+ datasets Eigendomsdata in één klik Percelen CRM
Geen adressen bij dit perceel
3.500 m2 - 235 m
Eigenaar opvragen
LRN01-E-877 (Laren Noord-Holland)
- Geen postcode aanwezig
G6 q052F3wEABlzdd6K9jt8m4hBxUpgrade naar KadastraleKaart Pro
Bekijk op Street View
Download DWG/DXF/Excel
VEDum9 lE X1QXxUpgrade naar KadastraleKaart Pro
FHxG58Gmk3FYjtFZIUpgrade naar KadastraleKaart Pro
p7 e InsHrUpgrade naar KadastraleKaart Pro
QKUdOlZGL GAjZZDmDVMVUpgrade naar KadastraleKaart Pro
Z4SFE5CoJUpgrade naar KadastraleKaart Pro
qAY25QSV8pp1G Upgrade naar KadastraleKaart Pro
EiXXx2 ZHfeoDegH97 lS0Upgrade naar KadastraleKaart Pro
BefeUEWeuH5vqgmkUpgrade naar KadastraleKaart Pro
b xqGt1FXAnyFSI DlM1Upgrade naar KadastraleKaart Pro
IooB6XI zanNHC7EGHuUpgrade naar KadastraleKaart Pro
08/10/1999

Percelen
Gebruik de zoekbalk of klik op een perceel om informatie over het perceel te bekijken.